_Martins_MNRJ_SWL.jpg)
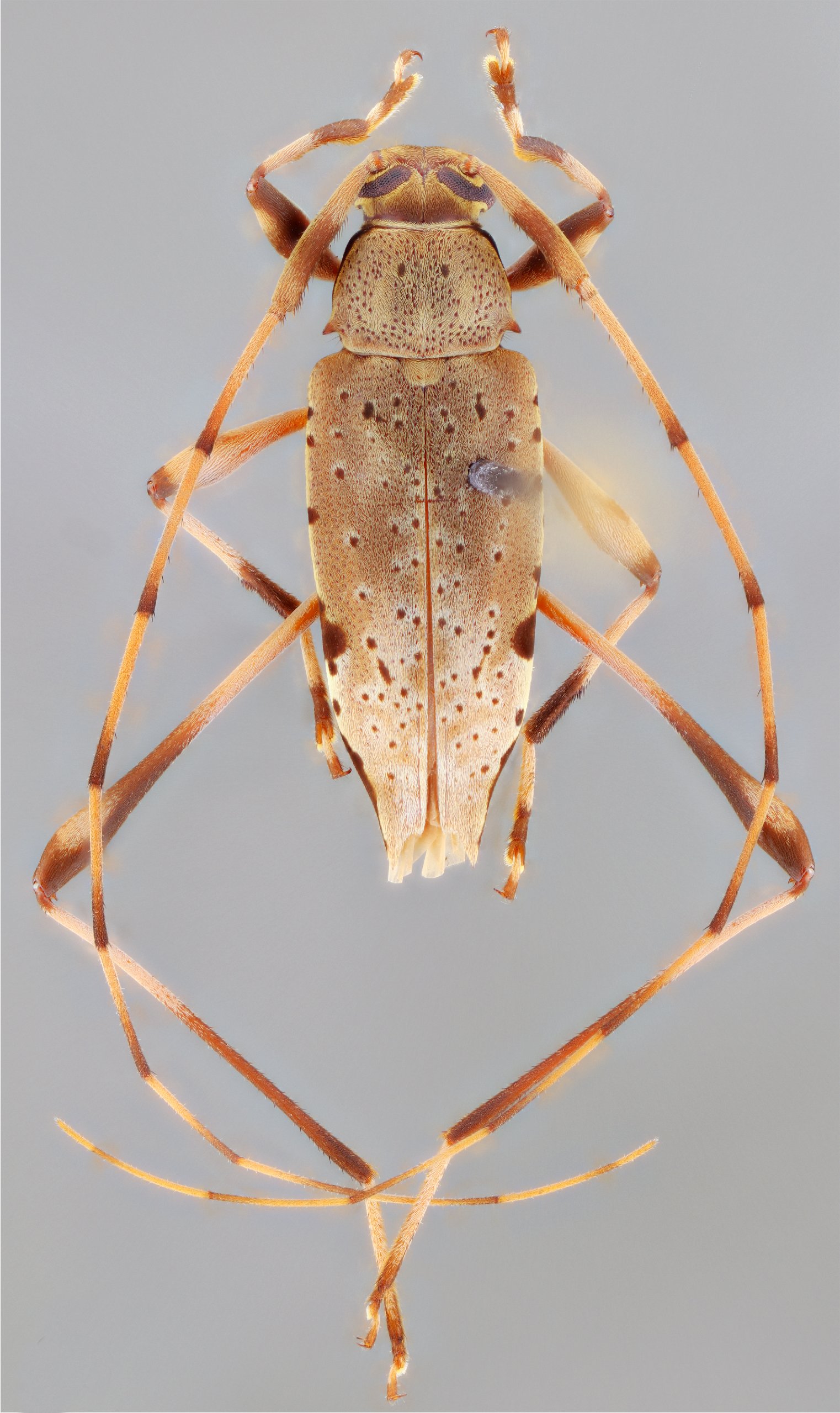
Specimen Type: holotype Sex: m Institution: MNRJ Museu Nacional Universidade do Rio Janeiro, Brazil Photographer: Steve Lingafelter Collection Location: Isla Barro Colorado, Canal Zone, Panama 4527
|
 Martins CSCA 12 km NW Nuevo Valladolid, QR, Mexico SS.jpg)
Sex: m Institution: CSCA California State Collection of Arthropods, Sacramento, California Photographer: Antonio Santos-Silva Collection Location: 12 km NW Nuevo Valladolid, Quintana Roo, Mexico 101266
|

Institution: CAS California Academy of Sciences, San Francisco, CA, USA Photographer: Larry G. Bezark Determiner: Bob Turnbow 4529
|

Photographer: Larry G. Bezark 4531
|

Photographer: Frank T. Hovore 21449
|
_Martins_La_Sombra_Nicaragua_jpr.jpg)
Photographer: JP Roguet, https://lamiinae.org Collection Location: La Sombra, Nicaragua 21450
|
|