New Search Family, Subfamily and Tribe List

SubFamily Lamiinae

Tribe Acanthocinini
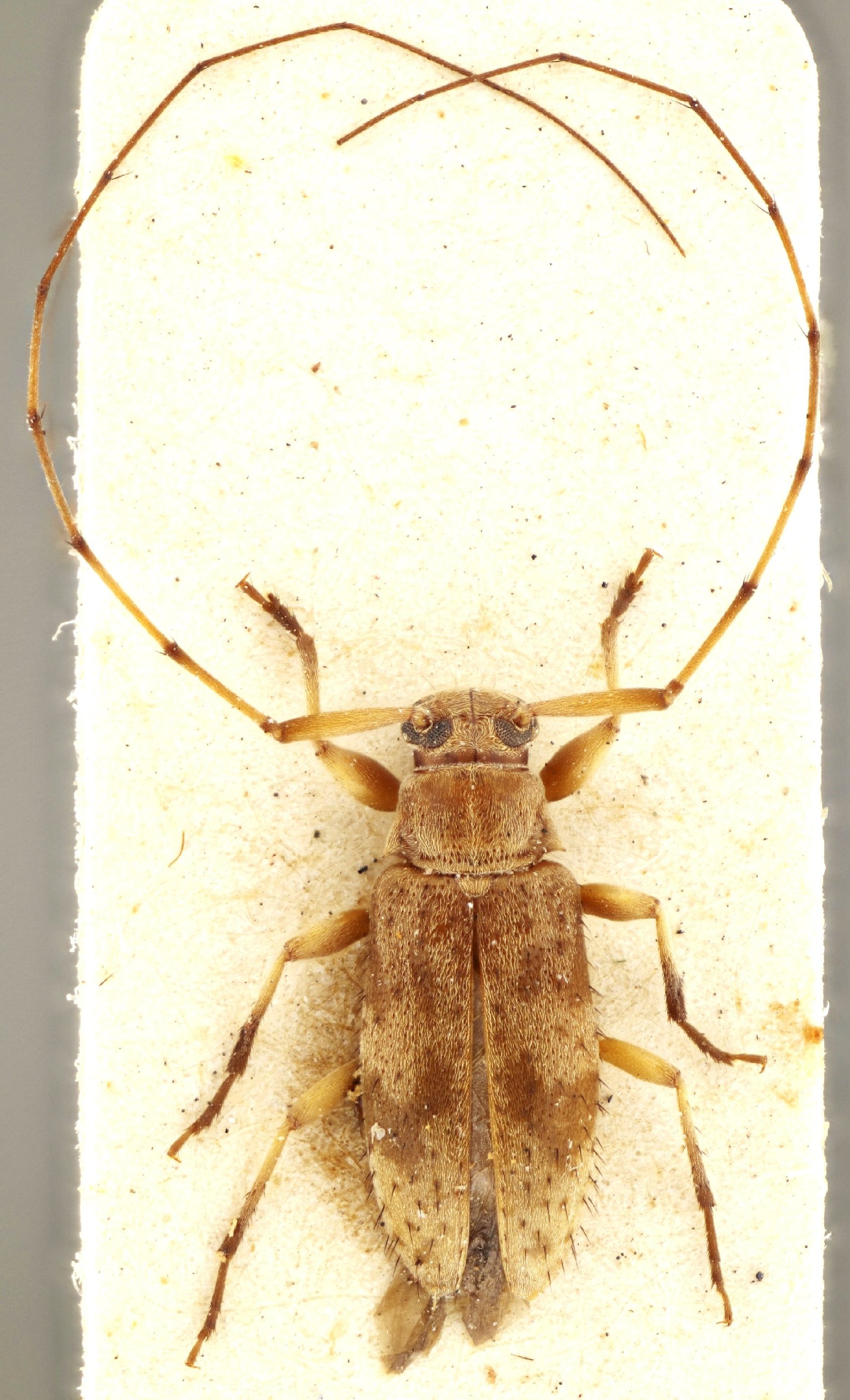
Piezochaerus bordoni (Monné & Martins, 1976)

Lepturgotrichona bordoni Monné & Martins
Specimen Type: holotype
Sex: f
Institution: MZSP Museu de Zoologia da Universidade de São Paulo, Brazil
Photographer: Antonio Santos-Silva
Collection Location: Cariaco, Sucre, Venezuela
9319

130425