 Melzer MZSP Sao Paolo, Sao Paolo, Brazil now Ectenessa Moure.jpg)
Eurymerus decoratus Melzer Specimen Type: lectotype Sex: m Institution: MZSP Museu de Zoologia da Universidade de São Paulo, Brazil Photographer: JS Moure Collection Location: Sao Paolo, Sao Paolo, Brazil 101794
|
 Melzer MNRJ Sao Paolo, Sao Paolo, Brazil now Ectenessa Moure.jpg)
Eurymerus decoratus Melzer Specimen Type: syntype Institution: MNRJ Museu Nacional Universidade do Rio Janeiro, Brazil Photographer: JS Moure Collection Location: Sao Paolo, Sao Paolo, Brazil 101795
|

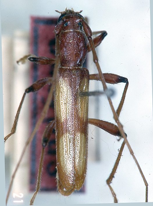
Eurymerus decoratus Melzer Photographer: John Chemsak 16599
|
 Fazenda Pau d’Alho, Itu Sao Paolo, Brazil det Napp JCPC LGB.jpg)
Institution: JCPC Jim Cope Collection, San Jose, California, USA now at CSCA, Sacramento Photographer: Larry G. Bezark Determiner: Dilma Napp Collection Location: Fazenda Pau d’Alho, Itu Sao Paolo, Brazil 98854
|
|