 Bates BMNH Santo Domingo, Chontales, Nicaragua now Coleo Moure.jpg)
Xestia nitida Bates Specimen Type: holotype Sex: m Institution: BMNH British Museum Natural History, London, UK Photographer: JS Moure Collection Location: Santo Domingo, Chontales, Nicaragua 102082
|
_BCA.jpg)
Institution: BCA Biologia Centrali Americana 5810
|
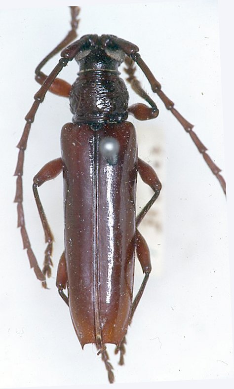
_Det_Chemsak_UCB.jpg)
Institution: UCB Essig Museum of Entomology, Berkeley, California, USA Photographer: Larry G. Bezark Determiner: Chemsak 5811
|
_MNRJ_SWL.jpg)
Institution: MNRJ Museu Nacional Universidade do Rio Janeiro, Brazil Photographer: Steve Lingafelter 5812
|
_(Bates)_Costa_Rica_Cahiers_44.jpg)
Sex: mf Collection Location: Costa Rica 21736
|
_(Bates)_Honduras_Cahiers_44.jpg)
Sex: mf Collection Location: Honduras 21737
|
_(Bates)_Mexico_Cahiers_44.jpg)
Sex: mf Collection Location: Mexico 21738
|
_(Bates)_Panama_Cahiers_44.jpg)
Sex: mf Collection Location: Panama 21739
|
_Bates_Pedernales_Manabi_Ecuador_SS.jpg)
Sex: m Photographer: Antonio Santos-Silva Collection Location: Pedernales, Manabi, Ecuador 53356
|