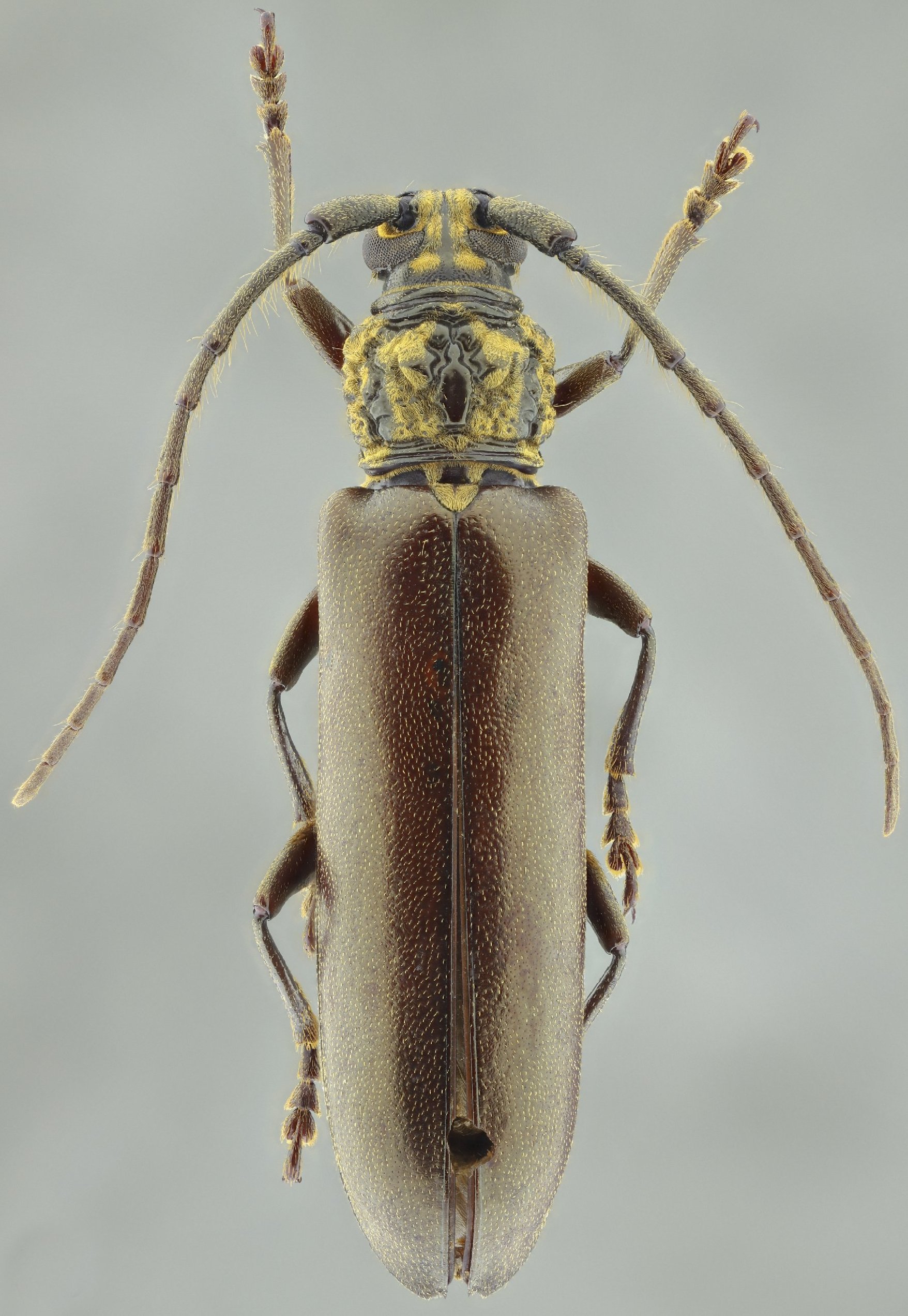
_Aurivillius_Ceram_Sul_Americanos_=_Paracriodion.jpg)
Sphallenum romani Aurivillius Specimen Type: syntype Sex: f 24075
|
 Montagne des Chevaux, Roura, French Guiana Robin.jpg)
Photographer: Frédéric Robin Collection Location: Montagne des Chevaux, French Guiana 79356
|
_Kaw_Fr_Guiana_Morvan_photo.jpg)
Photographer: Odette Morvan Collection Location: Kaw, French Guiana 25211
|
 (Auriv) Ramirez Coll San Regis, Rio Maranon, Loreto, Peru SS.jpg)
Sex: f Institution: Ramirez Collection Photographer: Antonio Santos-Silva Collection Location: San Regis, Rio Maranon, Loreto, Peru 44858
|

Photographer: Jean-Louis Giuglaris Collection Location: Belizon, French Guiana 29208
|
_Faure_French_Guiana.jpg)
Photographer: Denis Faure Collection Location: French Guiana 22406
|