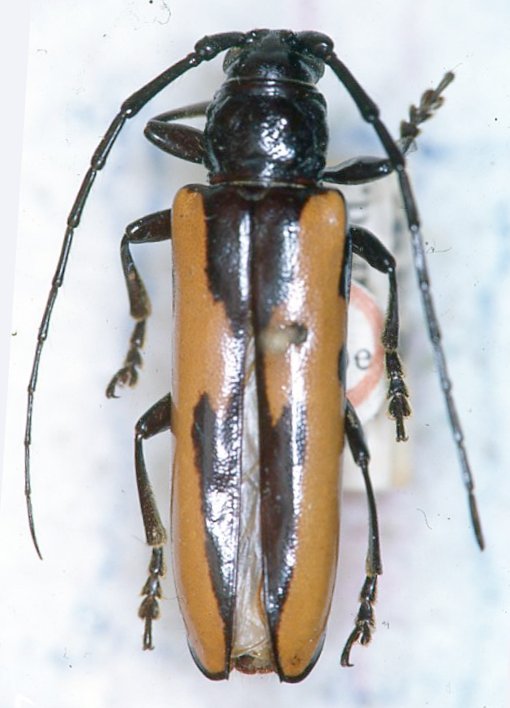
_Bates_BMNH_Tav_Chontales_Nicaragua_=_Poeciloxestia.jpg)
Xestia sagittaria Bates Specimen Type: holotype Institution: BMNH British Museum Natural History, London, UK Photographer: Gerard Tavakilian Collection Location: vic Santo Domingo, Chontales, Nicaragua 18867
|
_BCA.jpg)
Institution: BCA Biologia Centrali Americana 12372
|
 (Bates) Montagne des Chevaux, French Guiana Robin.jpg)
Sex: f Photographer: Frédéric Robin Collection Location: Montagne des Chevaux, French Guiana 12373
|
_Bolivia_Wappes_Photo.jpg)
Photographer: Jim Wappes Collection Location: Bolivia 12374
|

Photographer: Jean-Louis Giuglaris Collection Location: Belizon, French Guiana 29264
|
|