 White BMNH Honduras Moure.jpg)
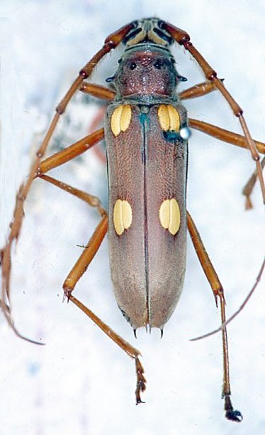
Eburia pedestris White Specimen Type: syntype Sex: f Institution: BMNH British Museum Natural History, London, UK Photographer: JS Moure Collection Location: Honduras 101684
|
.jpg)
Eburia pedestris White Specimen Type: syntype Sex: f Institution: BMNH British Museum Natural History, London, UK Collection Location: Honduras 6952
|