_Clarke_MNKM_Buena_Vista_SC_Bolivia.jpg)
Specimen Type: holotype Sex: f Institution: MNKM Museo de Hist Nat Noel Kempff Mercado Santa Cruz de la Sierra, Bolivia Photographer: Robin Clarke Collection Location: Buena Vista, Santa Cruz, Bolivia 24295
|
 Clarke MZSP Hot F F Buena Vista, Santa Cruz, Bolivia SS.jpg)
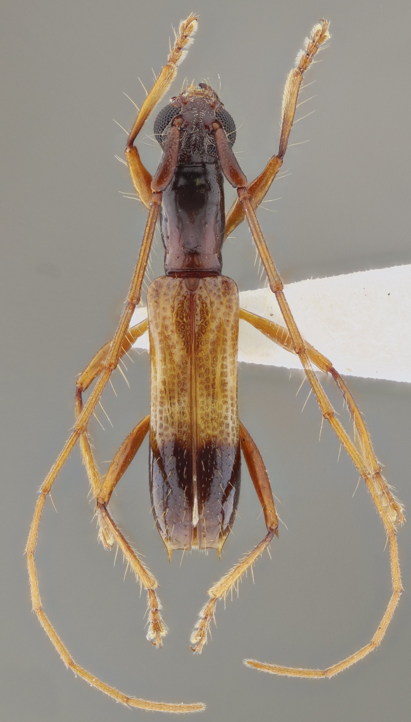
Specimen Type: paratype Sex: m Institution: MZSP Museu de Zoologia da Universidade de São Paulo, Brazil Photographer: Antonio Santos-Silva Collection Location: Hotel Flora & Fauna, Buena Vista, Santa Cruz, Bolivia 101613
|
 Clarke MZSP Hot F F Buena Vista, Santa Cruz, Bolivia SS.jpg)
Specimen Type: paratype Sex: m Institution: MZSP Museu de Zoologia da Universidade de São Paulo, Brazil Photographer: Antonio Santos-Silva Collection Location: Hotel Flora & Fauna, Buena Vista, Santa Cruz, Bolivia 101614
|
|