_DJH.jpg)
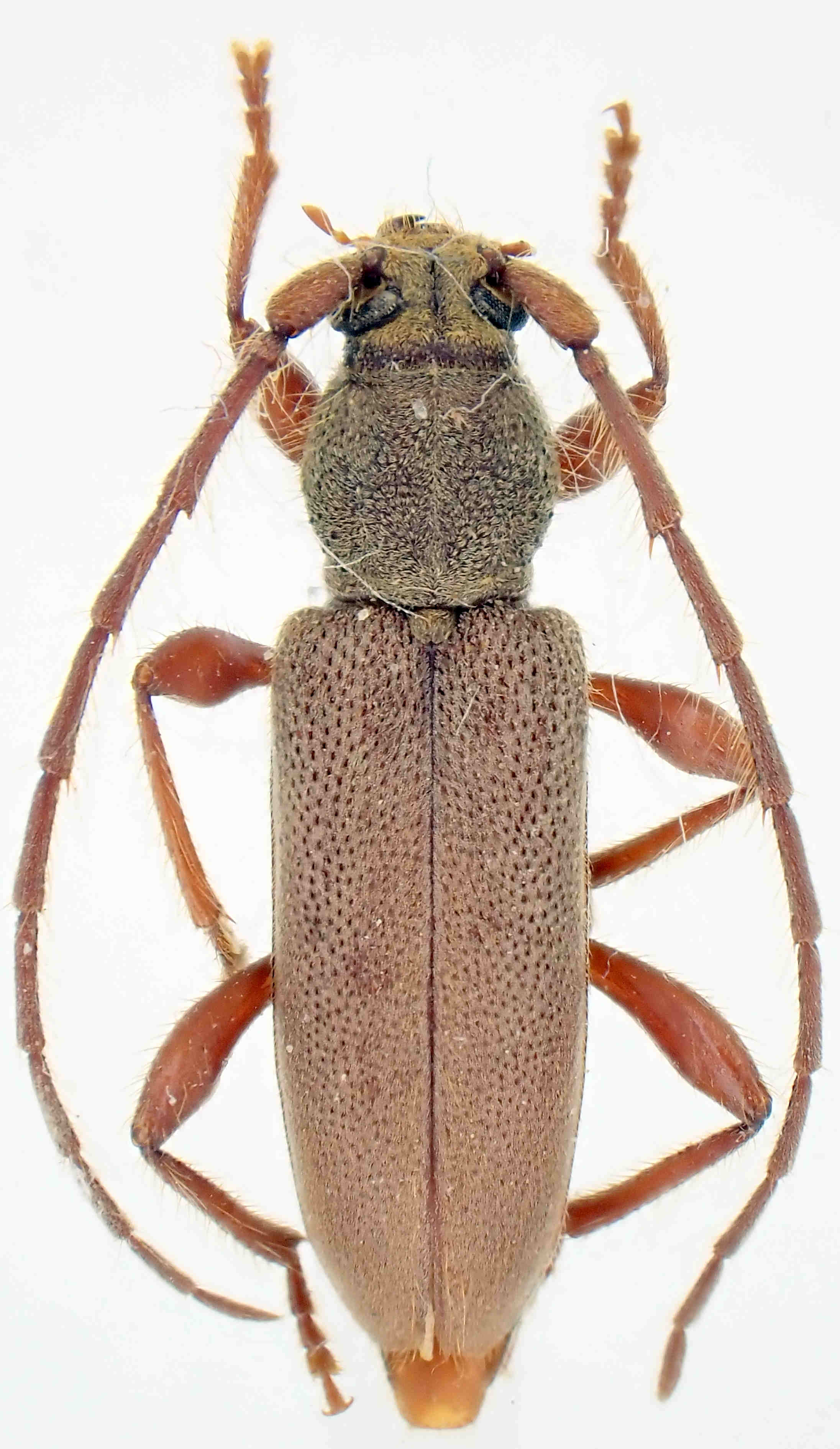
Specimen Type: holotype Sex: m Institution: Holzschuh Collection Photographer: Lubo Dembický Collection Location: Mt Trus Madi, Sabah, Malaysia 35776
|
_Holzschuh_Malaysia_Sabah_Mt._Trus_Madi.jpg)
Specimen Type: holotype Sex: m Institution: Holzschuh Determiner: Schrift. Forstlichen Bundesversuchsanstalt Collection Location: Mt Trus Madi, Sabah, Malaysia 31629
|