New Search Family, Subfamily and Tribe List

SubFamily Lepturinae

Tribe Lepturini
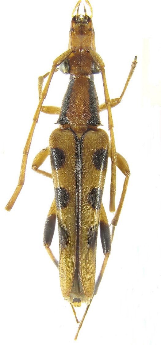
Pygostrangalia gialaii (Murzin, 1988)

Strangalia gialai Murzin
Specimen Type: holotype
Sex: f
Institution: Murzin Collection
Photographer: Maxim Lazarev
Collection Location: 40 km N Ankhe, Buon-Loi, Gia Lai-Kontum Province, Vietnam
100836

130425