New Search Family, Subfamily and Tribe List

SubFamily Lepturinae

Tribe Lepturini
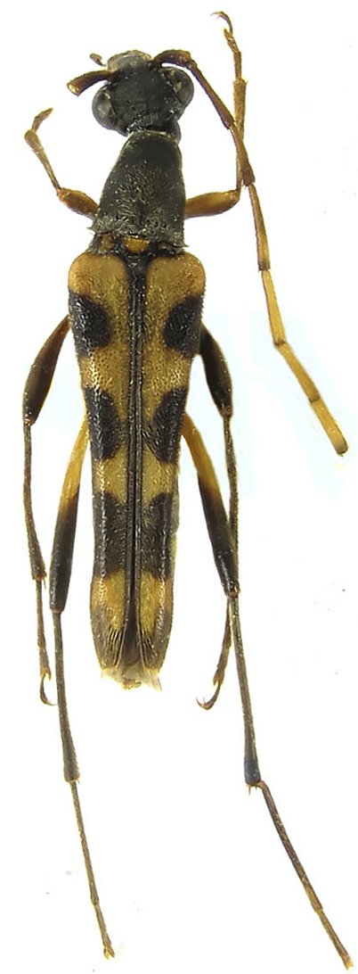
Pygostrangalia medvedevi (Murzin, 1988)

Strangalia medvedevi Murzin
Specimen Type: holotype
Sex: f
Institution: Murzin Collection
Photographer: Maxim Lazarev
Collection Location: Tam Dao, Vinh Phuc Province, Vietnam
100837

130425