New Search Family, Subfamily and Tribe List

SubFamily Cerambycinae

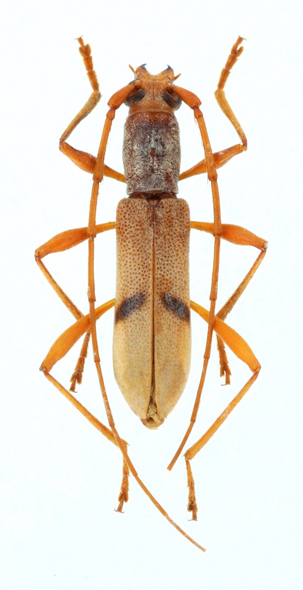
Tribe Callidiopini
Salpinia virgulata Haller 2019

Specimen Type: holotype
Sex: f
Institution: Haller Collection
Photographer: Pierre Haller
Collection Location: Roxas, Palawan, Philippines
102342

130425