New Search Family, Subfamily and Tribe List

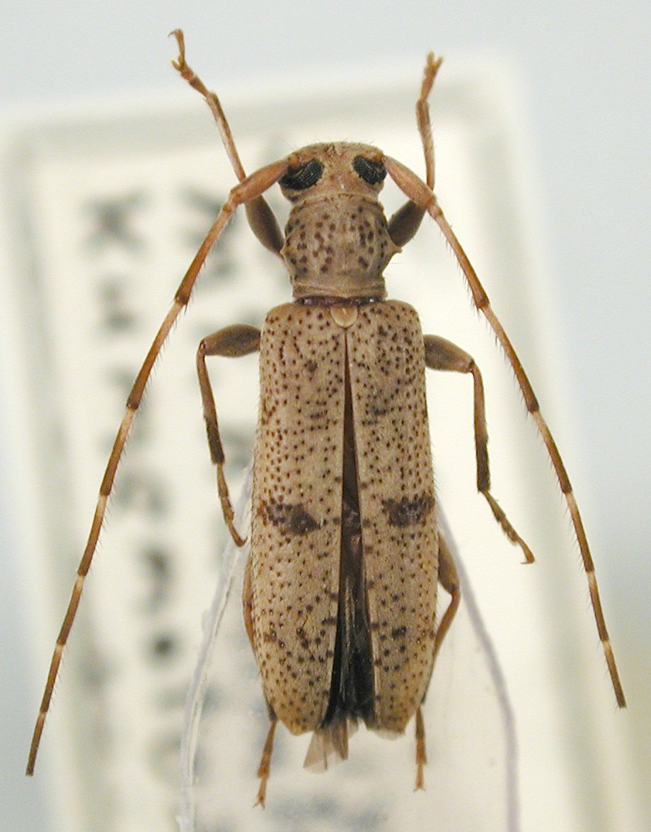
SubFamily Lamiinae

Tribe Acanthocinini
Rondibilis sapporensis (Matsushita, 1933)

Institution: JCPC Jim Cope Collection, San Jose, California, USA now at CSCA, Sacramento
Photographer: Larry G. Bezark
Determiner: Jim Cope
Collection Location: Shiiya Pass, Mt Kumimidake, Japan
39072

130425