_Napp_and_Martins_MZSP_SWL.jpg)
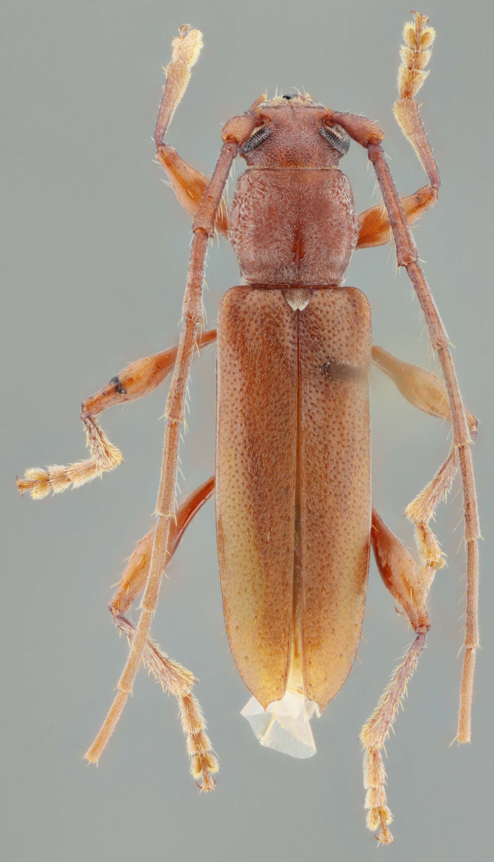
Specimen Type: holotype Sex: m Institution: MZSP Museu de Zoologia da Universidade de São Paulo, Brazil Photographer: Steve Lingafelter Collection Location: Jataí (Fazenda Aceiro), Goias, Brazil 9902
|

Sex: m Institution: ZUFMS Coleção Zoológica da Universidade Federal de Mato Grosso do Sul, Brazil Photographer: Antonio Santos-Silva Collection Location: Aquidauana, Camisao, Mato Grosso do Sul, Brazil 101016
|