New Search Family, Subfamily and Tribe List

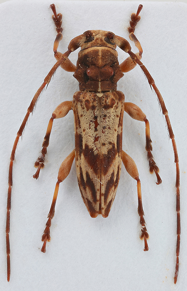
SubFamily Lamiinae

Tribe Apomecynini
Auxa lineolata Fairmaire 1897

Photographer: Denis Kasatkin, Cerambycoidea Forum
Determiner: Jerome Sudre, Cerambycoidea Forum
Collection Location: Marojejia, N Madagascar
100727

130425