 Bates YZU Mogfanggou, Songpan, Sichuan, China.jpg)
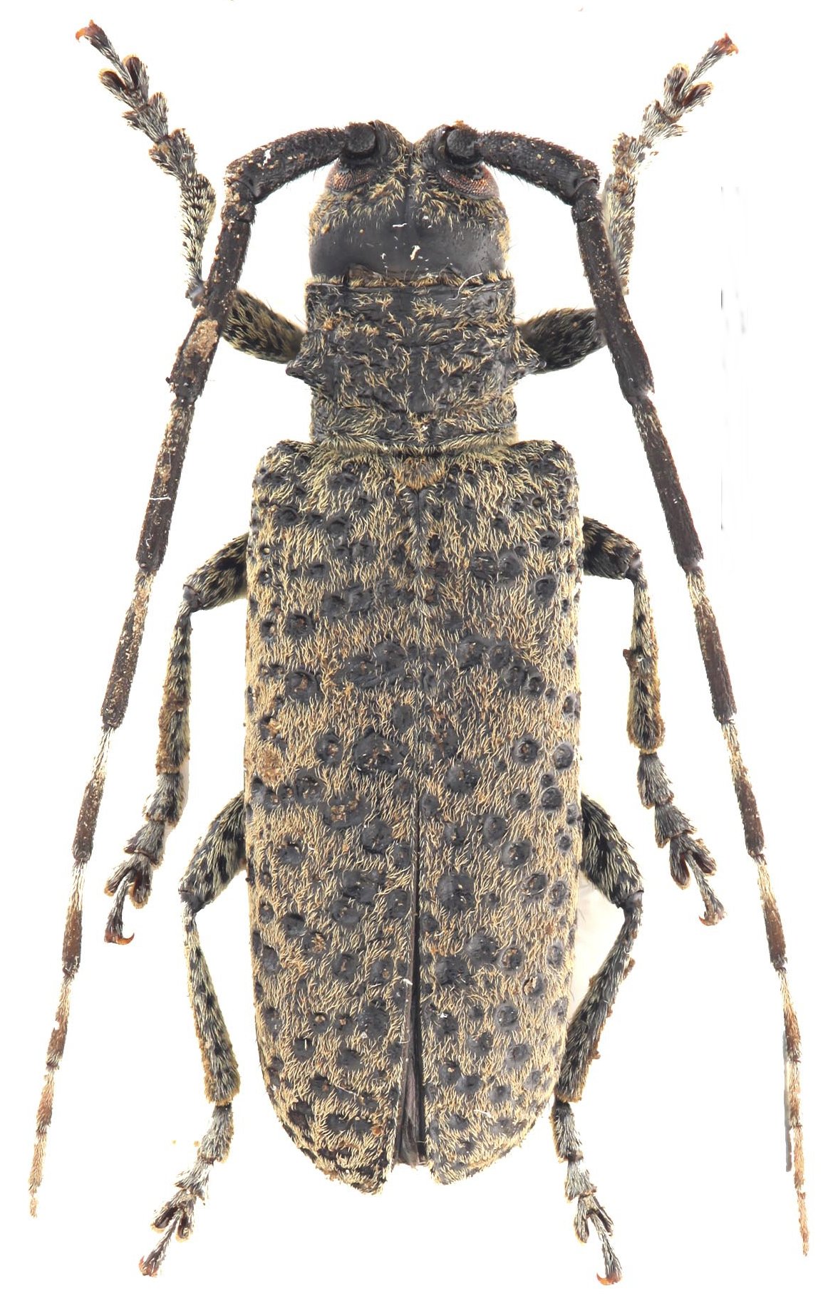
Sex: f Institution: YZU Insect Collection, College of Agriculture, Yangtze University, Jingzhou, China Photographer: Nai-yu Pan Collection Location: Mogfanggou, Songpan, Sichuan, China 37700
|

Photographer: Andre Gorodinski Collection Location: N Sichuan, China 36120
|