 Martins EMEC Amecameca, Mexico SS.jpg)
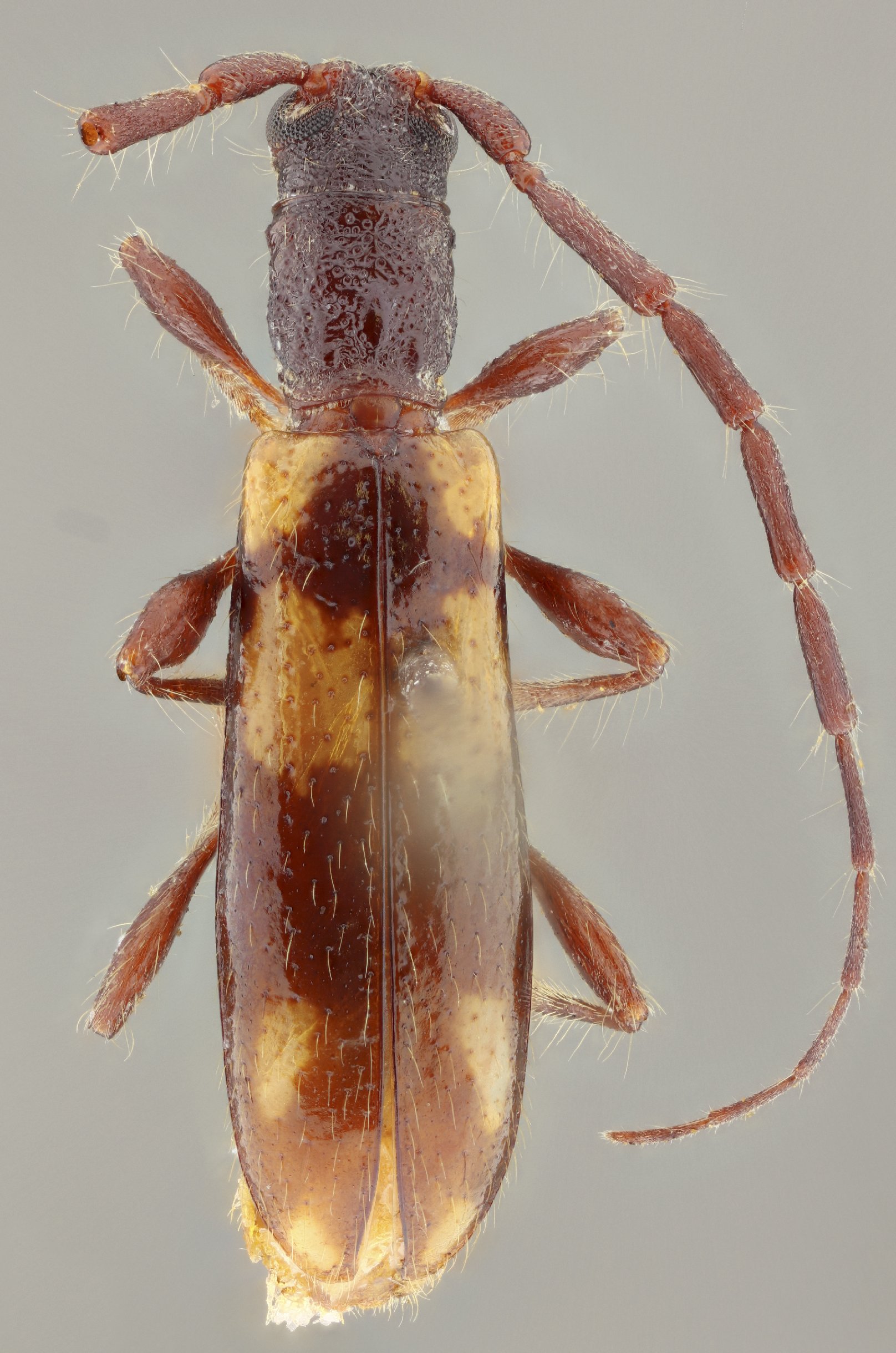
Specimen Type: holotype Sex: m Institution: EMEC Essig Museum of Entomology, Berkeley, CA, USA Photographer: Antonio Santos-Silva Collection Location: Amecameca, Mexico 101594
|
 Martins EMEC Amecameca, Mexico SS.jpg)
Specimen Type: holotype Sex: m Institution: EMEC Essig Museum of Entomology, Berkeley, CA, USA Photographer: Antonio Santos-Silva Collection Location: Amecameca, Mexico 101595
|