New Search Family, Subfamily and Tribe List

SubFamily Cerambycinae

Tribe Prothemini
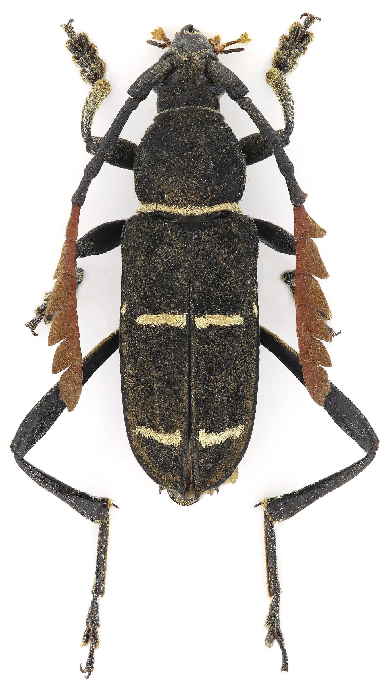
Euryarthrum apicefasciatum Huedepohl 1998

Sex: m
Institution: Viktora Collection
Photographer: Petr Viktora
Collection Location: Perak, Malaysia
101496

130425