 Fairmaire MNHN Betsiboka Valley, Madagascar now Nastocerus A Horellou.jpg)
Paralocus scutatus Fairmaire Specimen Type: holotype © MNHN Institution: MNHN Museum of Natural History Paris, France Photographer: A Horellou Collection Location: Betsiboka Valley, Madagascar 102304
|

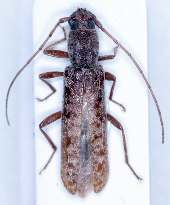
Photographer: Pierre-Olivier Maquart, Cerambycoidea Forum Determiner: Patrick Bonneau, Cerambycoidea Forum Collection Location: Makay Massif, Madagascar 102274
|