 (Pic) YZU Febngping Villgae, Songpan, Sichuan, China.jpg)
Sex: m Institution: YZU Insect Collection, College of Agriculture, Yangtze University, Jingzhou, China Photographer: Jian-Heng Chen Collection Location: Febngping Villgae, Songpan, Sichuan, China 101500
|
 (Pic) YZU Febngping Villgae, Songpan, Sichuan, China.jpg)
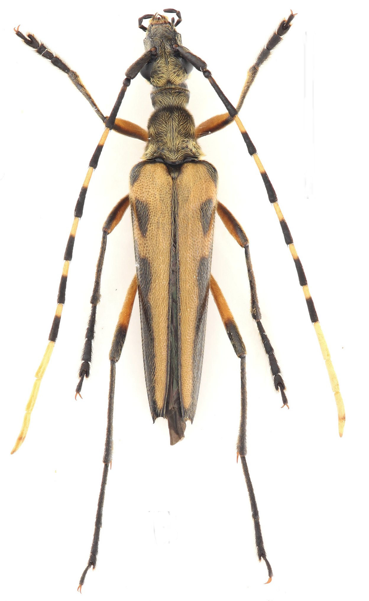
Sex: f Institution: YZU Insect Collection, College of Agriculture, Yangtze University, Jingzhou, China Photographer: Jian-Heng Chen Collection Location: Febngping Villgae, Songpan, Sichuan, China 101501
|
_Xiling_Xueshan_China_LGB.jpg)
Institution: LGBC Larry G. Bezark Collection, Sacramento, California, USA Photographer: Larry G. Bezark Collection Location: Xiling, Xueshan, China 49378
|
|