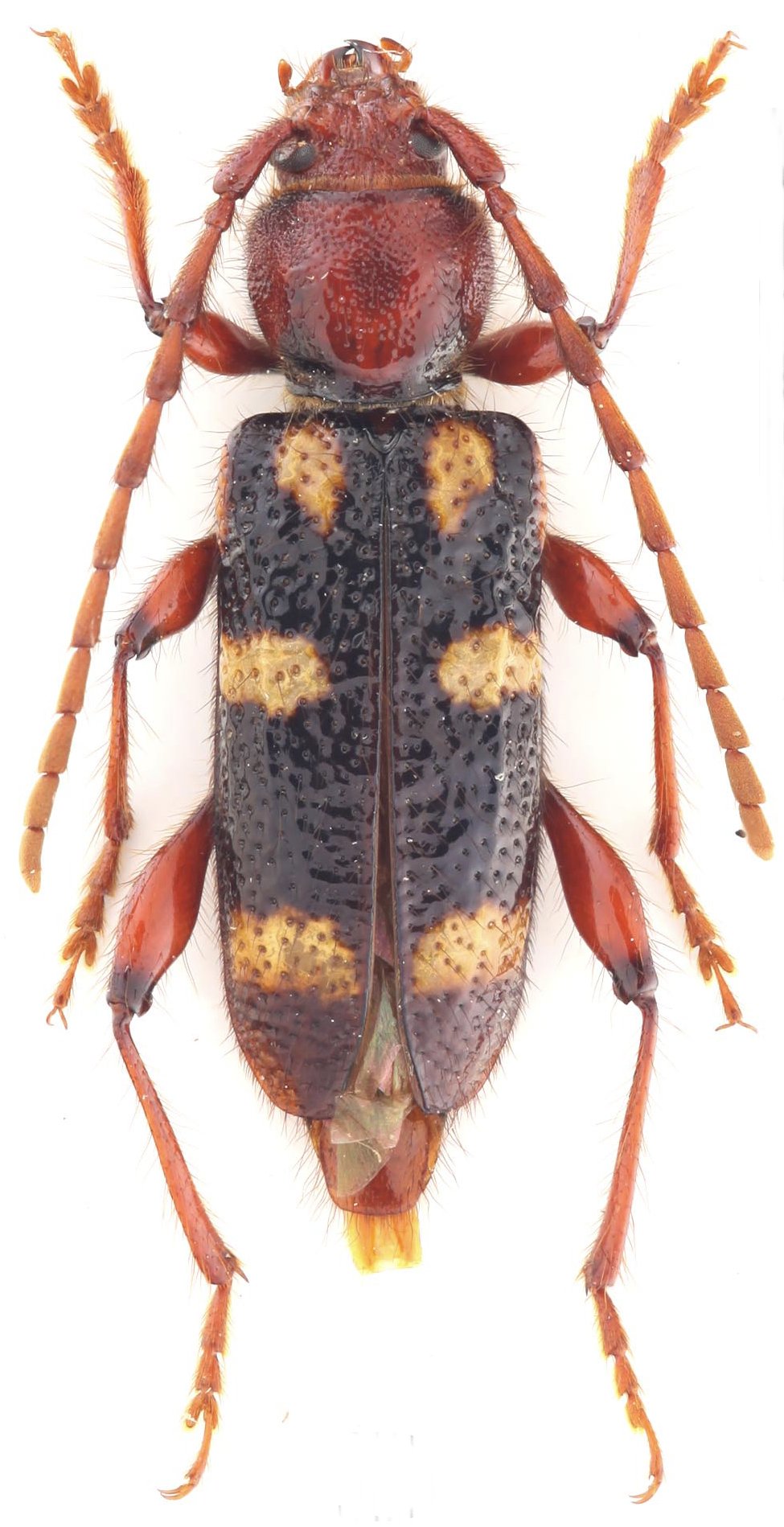
_Linsley_and_Chemsak_CAS.jpg)
Specimen Type: allotype Institution: CAS California Academy of Sciences, San Francisco, CA, USA Photographer: Larry G. Bezark 577
|
_Linsley_and_Chemsak_Shannon_Co._S._Dakota_UCB.jpg)
Specimen Type: paratype Institution: UCB Essig Museum of Entomology, Berkeley, California, USA Photographer: Larry G. Bezark Collection Location: Shannon County, South Dakota 578
|