New Search Family, Subfamily and Tribe List

SubFamily Lepturinae

Tribe Teledapini
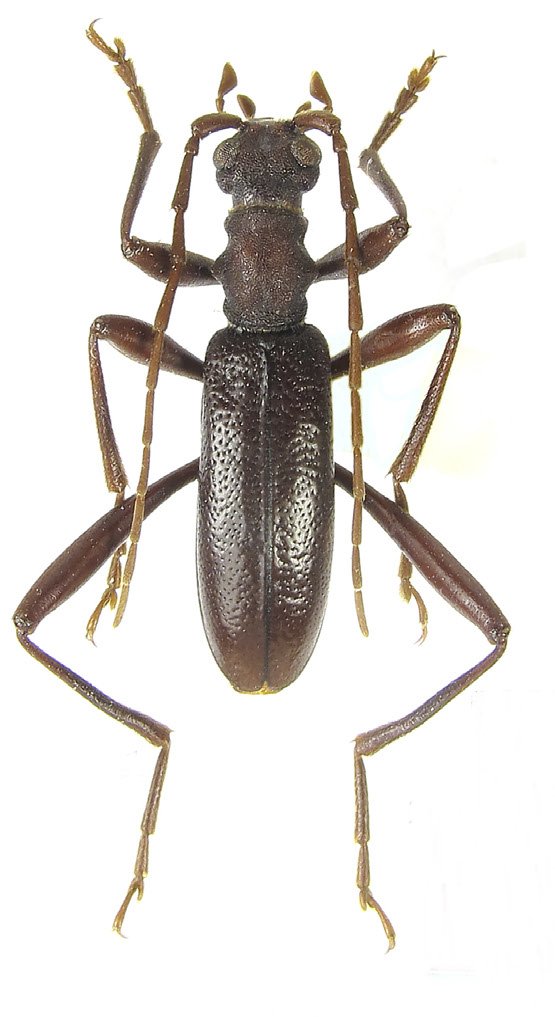
Teledapalpus murzini Miroshnikov 2000

Specimen Type: holotype
Sex: m
Institution: Murzin Collection
Photographer: Maxim Lazarev
Collection Location: vic Nanping, N Sichuan, China
100838

130425