
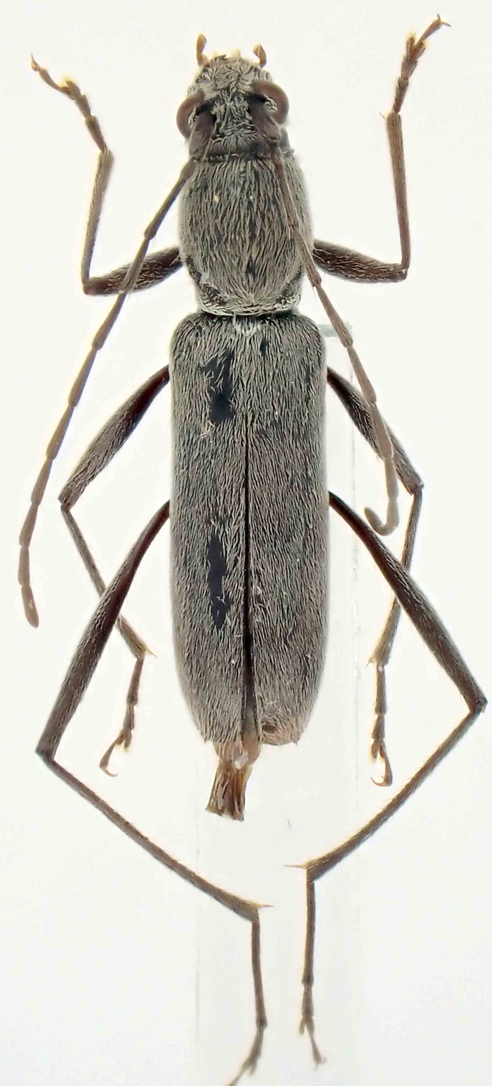
Institution: JCPC Jim Cope Collection, San Jose, California, USA now at CSCA, Sacramento Photographer: Larry G. Bezark Determiner: Hajime Nara Collection Location: Lalashan, Taoyuan, Taiwan 98630
|

Photographer: Gerard Chemin, Cerambycoidea Forum Collection Location: Taiwan 100790
|