 Pascoe BMNH Santa Marta, Magdalena, Colombia now Coty Moure.jpg)
Neoclytus scenicus Pascoe Specimen Type: syntype Institution: BMNH British Museum Natural History, London, UK Photographer: JS Moure Collection Location: Santa Marta, Magdalena, Colombia 101903
|
_Pascoe_Santa_Marta_Magdalena_Colombia_=_Cotyclytus.jpg)
Neoclytus scenicus Pascoe Specimen Type: syntype Institution: BMNH British Museum Natural History, London, UK Collection Location: Santa Marta, Magdalena, Colombia 30850
|
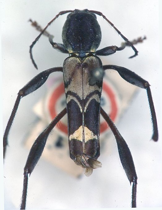
_Pascoe_BMNH_JAC.jpg)
Neoclytus scenicus Pascoe Specimen Type: syntype Institution: BMNH British Museum Natural History, London, UK Photographer: John Chemsak Collection Location: Santa Marta, Magdalena, Colombia 17480
|
_Fuchs_FTH.jpg)
Neoclytus columbianus Fuchs Specimen Type: paratype Institution: HS Herbert Schmid Collection, Vienna, Austria Photographer: Herbert Schmid 21589
|

10341
|

Institution: FTH Frank T. Hovore collection (now at California Academy of Sciences) Photographer: Larry G. Bezark Collection Location: 31km E Canita, Panama 27372
|

Institution: FTH Frank T. Hovore collection (now at California Academy of Sciences) Photographer: Larry G. Bezark Collection Location: 31km E Canita, Panama 27373
|

Institution: FTH Frank T. Hovore collection (now at California Academy of Sciences) Photographer: Larry G. Bezark 10342
|
|