New Search Family, Subfamily and Tribe List

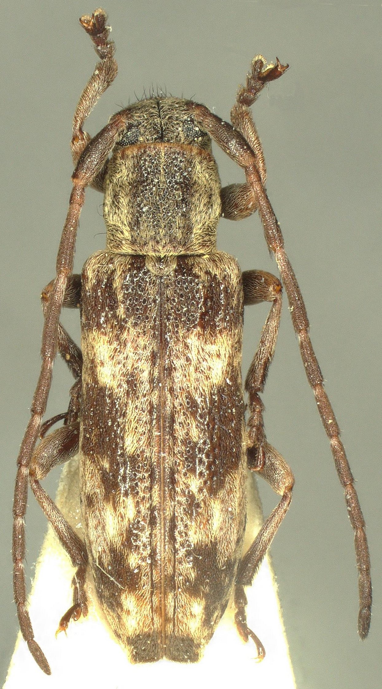
SubFamily Lamiinae

Tribe Desmiphorini
Mimectatina fuscoplagiata (Breuning, 1939)

Institution: JCPC Jim Cope Collection, San Jose, California, USA now at CSCA, Sacramento
Photographer: Alexey Tishechkin
Determiner: Jim Cope
Collection Location: Uranikko, Gunma Prefecture, Japan
54473

130425