 Bates BMNH Xautipa, Guerrero, Mexico Moure.jpg)
Specimen Type: lectotype Sex: m Institution: BMNH British Museum Natural History, London, UK Photographer: JS Moure Collection Location: Xautipa, Guerrero, Mexico 100882
|
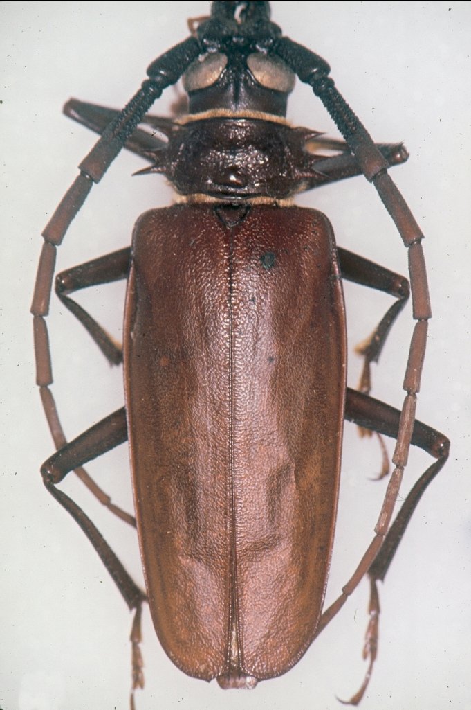
_Bates_BMNH_JAC_=_Derobrachus_longicornis_(Bates).jpg)
Specimen Type: lectotype Sex: m Institution: BMNH British Museum Natural History, London, UK Photographer: John Chemsak Collection Location: Xautipa, Guerrero, Mexico 20231
|