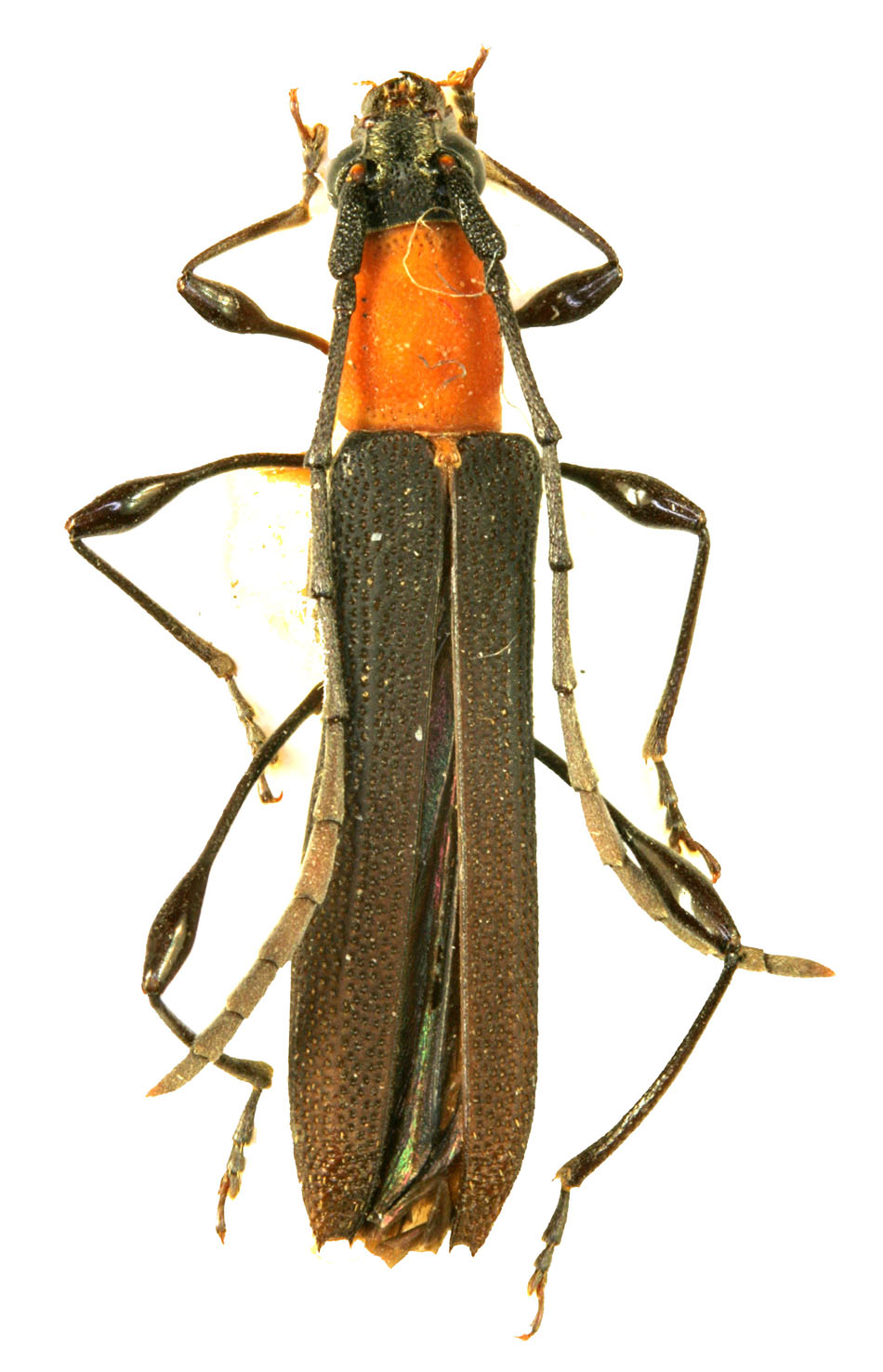
 Vives coll pic Calayan Island, N Luzon, Philippines.jpg)
Specimen Type: holotype Sex: m Institution: Vives Collection Photographer: Eduard Vives Collection Location: Calayan Island, N Luzon, Philippines 100730
|
 Calayan, Island, Philippines JCPC LGBC.jpg)
Specimen Type: paratype Institution: JCPC Jim Cope Collection, San Jose, California, USA now at CSCA, Sacramento Photographer: Larry G. Bezark Collection Location: Calayan, Island, Philippines 98445
|