_Holzschuh_FBVA.jpg)
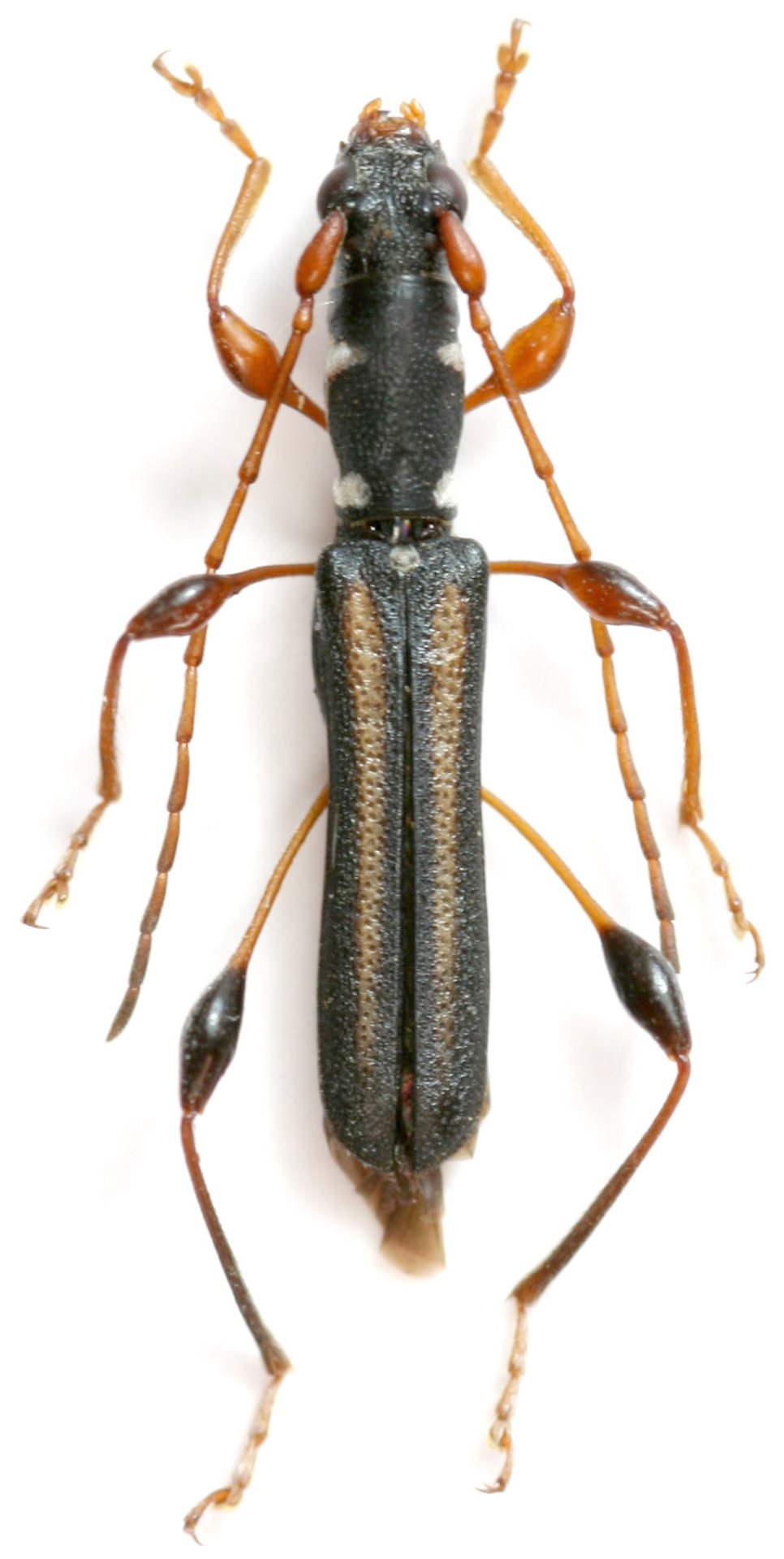
Specimen Type: holotype Sex: m Institution: Holzschuh Collection Determiner: Schrift. Forstlichen Bundesversuchsanstalt Collection Location: Chiang Mai, Sansai, Northern Thailand 44787
|

Photographer: Carlo Vitali, Cerambycoidea Forum Determiner: Francesco Ruggiero, Cerambycoidea Forum Collection Location: Thailand 54416
|