
Specimen Type: holotype Sex: m Institution: Holzschuh Collection Determiner: Entomologica Basiliensa et Collectionis Frey Collection Location: Nilgiri Hills, 15 km SE of Kotagiri, near, Tamil Nadu, IndIa 52505
|
 Holzschuh 11km SE Kotagiri, Nilgiri Hills, Tamil Nadu, SE India JCPC LGB.jpg)
Specimen Type: paratype Institution: JCPC Jim Cope Collection, San Jose, California, USA now at CSCA, Sacramento Photographer: Larry G. Bezark Collection Location: 11km SE Kotagiri, Nilgiri Hills, Tamil Nadu, SE India 98244
|
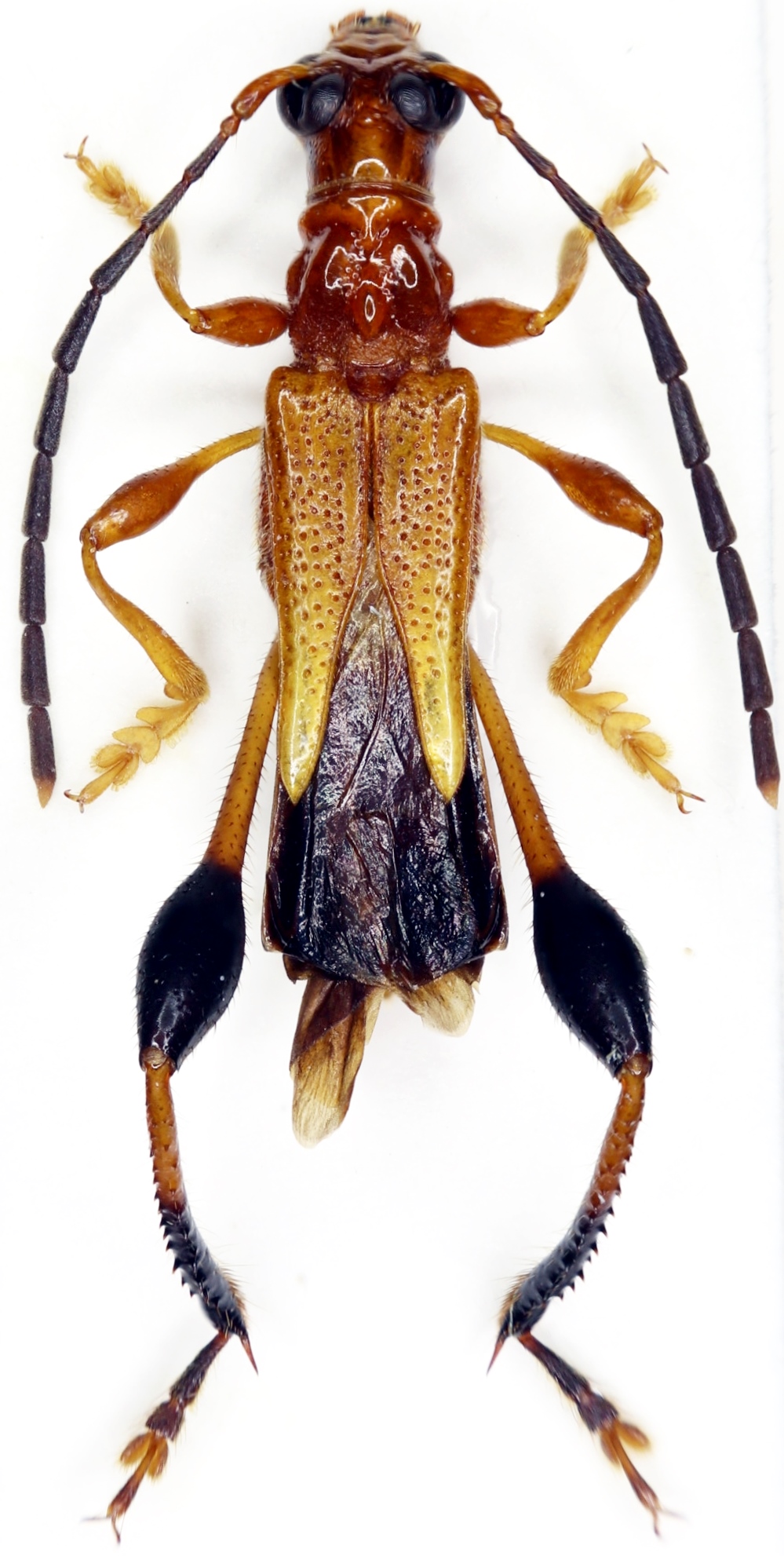
 Holz Nilgiri Hills, 15 km SE of Kotagiri, near, Tamil Nadu, India Skale coll pic.jpg)
Specimen Type: paratype Institution: Skale Collection Photographer: Andre Skale Collection Location: Nilgiri Hills, 15 km SE of Kotagiri, near, Tamil Nadu, India 102265
|
|