New Search Family, Subfamily and Tribe List

SubFamily Cerambycinae

Tribe Cleomenini
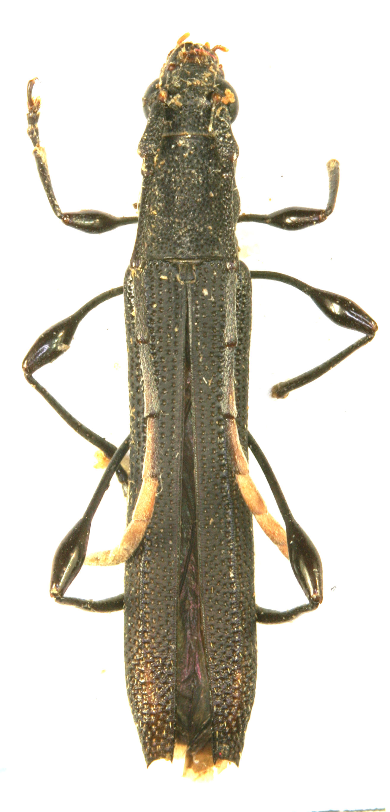
Cleomenes infuscatus Vives 2015

Specimen Type: holotype
Sex: m
Institution: Vives Collection
Photographer: Eduard Vives
75209


Specimen Type: paratype
Sex: f
Institution: Vives Collection
Photographer: Eduard Vives
Collection Location: Quirino, Sierra Madre, N Luzon, Philippines
100729

130425