New Search Family, Subfamily and Tribe List

SubFamily Lamiinae

Tribe Astathini
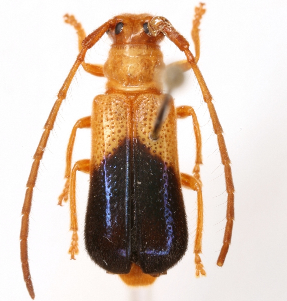
Bacchisa kudatensis Vives & Heffern 2016

Specimen Type: holotype
Sex: m
Institution: Heffern Collection
Photographer: Eduard Vives
Collection Location: Kudat, Sabah, Borneo
89719

130425