 Jacquot Mamasa, S Sulawesi JCPC LGBC.jpg)
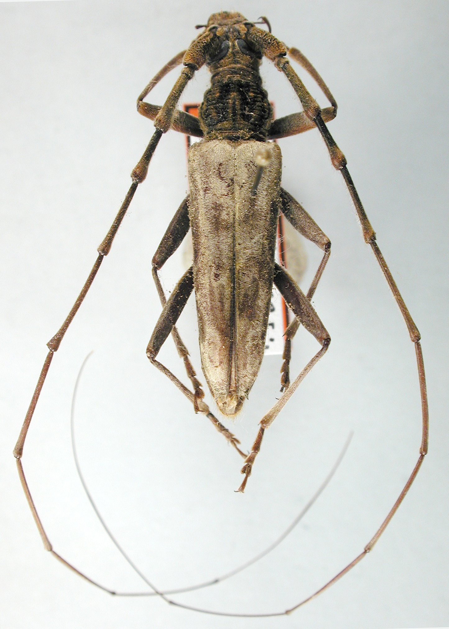
Institution: JCPC Jim Cope Collection, San Jose, California, USA now at CSCA, Sacramento Photographer: Larry G. Bezark Collection Location: Mamasa, S Sulawesi 98517
|
 Jacquot Mamasa, S Sulawesi JCPC LGBC.jpg)
Institution: JCPC Jim Cope Collection, San Jose, California, USA now at CSCA, Sacramento Photographer: Larry G. Bezark Collection Location: Mamasa, S Sulawesi 98518
|