New Search Family, Subfamily and Tribe List

SubFamily Cerambycinae

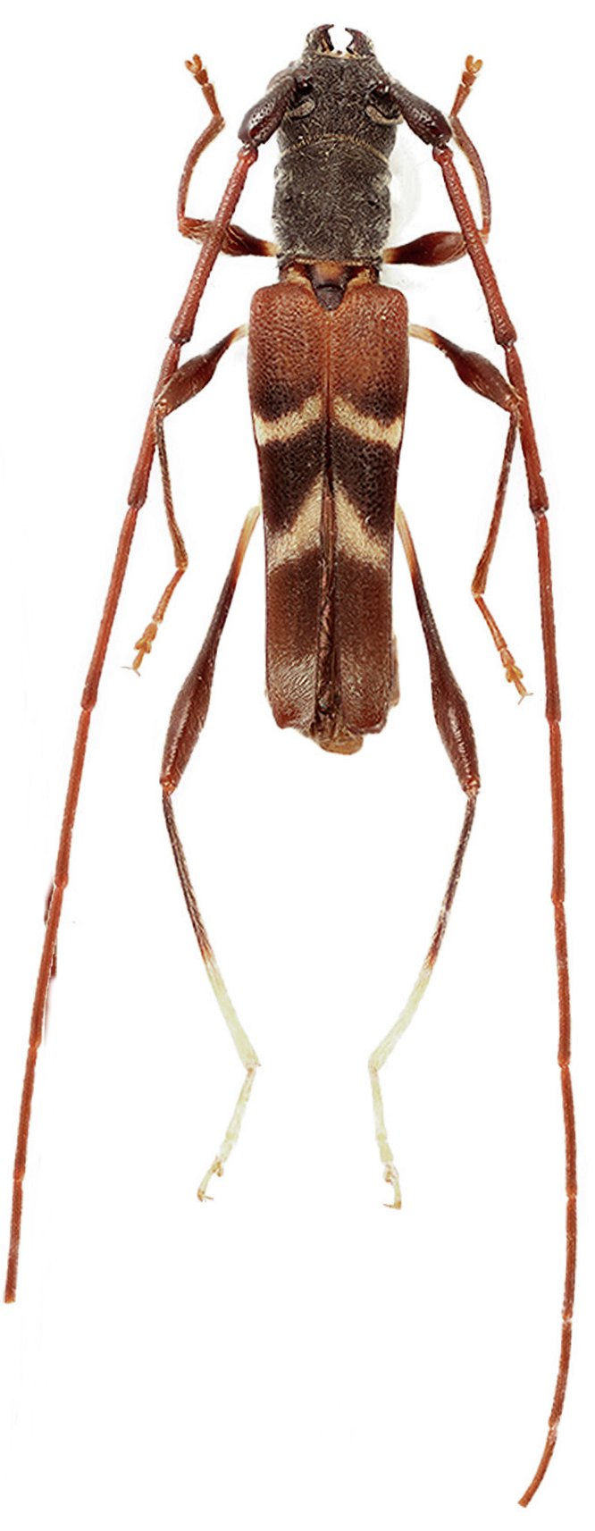
Tribe Compsocerini
Eduardiella dayaoshana Niisato & Liu 2018

Specimen Type: holotype
Sex: m
Institution: CAU China Agricultural University, Beijing, China
Photographer: Tatsuya Niisato
Collection Location: Mt Dayaoshan, Guangxi, China
101719

130425