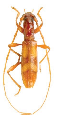
 Audureau coll pk 30.5, route de Kaw, French Guiana.jpg)
Specimen Type: holotype Sex: m Institution: Audureau Collection Photographer: Alain Audureau Collection Location: pk 30.5, route de Kaw, French Guiana 78694
|
 Audureau pk 37.5 Route de Kaw, French Guiana2.jpg)
Sex: m Institution: Audureau Collection Photographer: Alain Audureau Collection Location: pk 37.5 Route de Kaw, French Guiana 102672
|