 Nearns Swift SS FSCA Amazone Nature Lodge, Kaw rd, French Guiana SS.jpg)
Specimen Type: holotype Sex: f Institution: FSCA Florida State Collection of Arthropods, Gainesville, FL, USA Photographer: Antonio Santos-Silva Collection Location: Amazone Nature Lodge, Kaw rd, French Guiana 80779
|
 Nearns Swift SS FSCA Amazone Nature Lodge, Kaw rd, French Guiana SS.jpg)
Specimen Type: holotype Sex: f Institution: FSCA Florida State Collection of Arthropods, Gainesville, FL, USA Photographer: Antonio Santos-Silva Collection Location: Amazone Nature Lodge, Kaw rd, French Guiana 80780
|
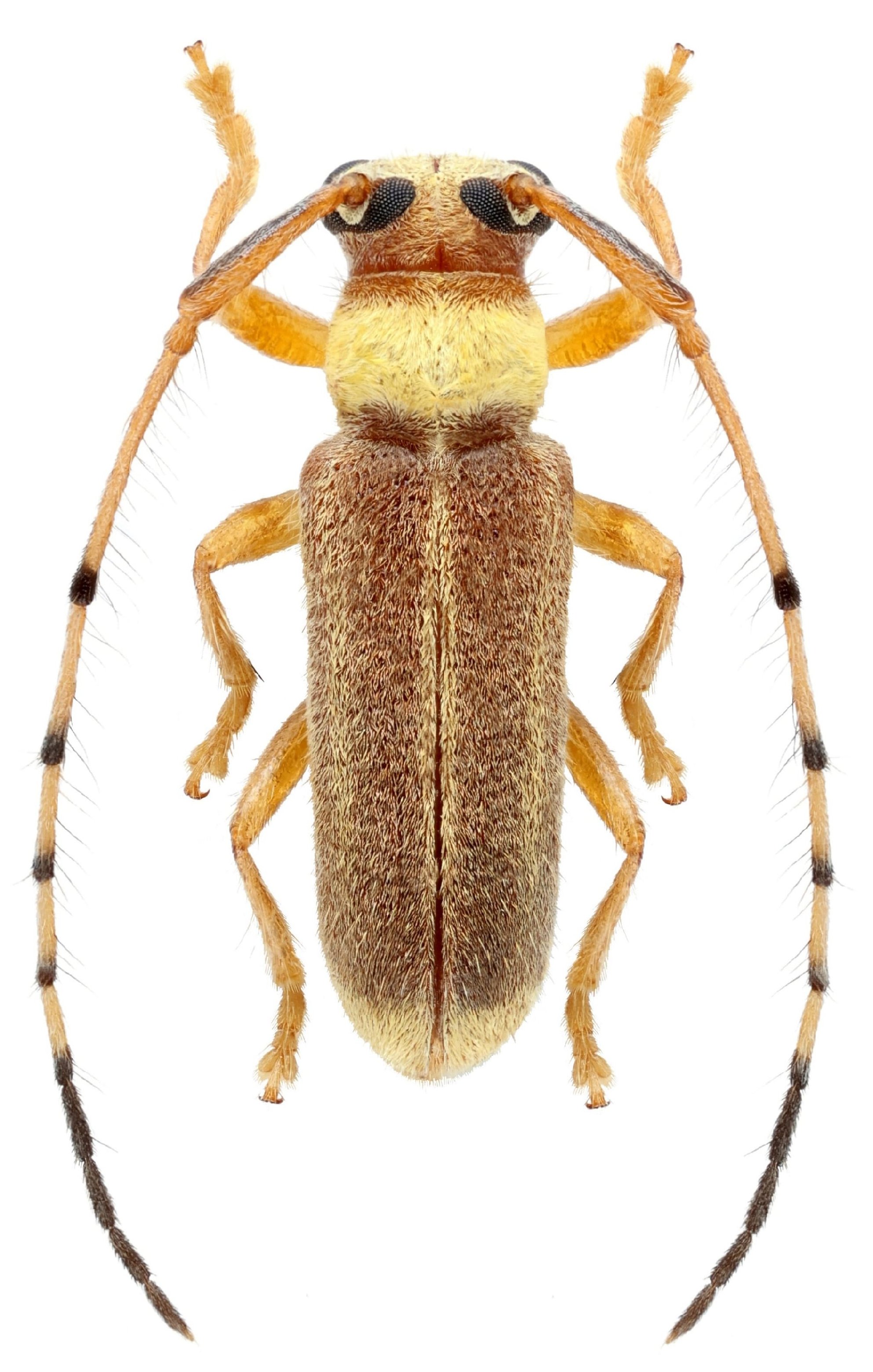
 Nearns Swift SS FSCA Amazone Nature Lodge, Kaw rd, French Guiana SS.jpg)
Specimen Type: holotype Sex: f Institution: FSCA Florida State Collection of Arthropods, Gainesville, FL, USA Photographer: Antonio Santos-Silva Collection Location: Amazone Nature Lodge, Kaw rd, French Guiana 80781
|
 Nearns Swift SS FSCA Amazone Nature Lodge, Kaw rd, French Guiana SS.jpg)
Specimen Type: holotype Sex: f Institution: FSCA Florida State Collection of Arthropods, Gainesville, FL, USA Photographer: Antonio Santos-Silva Collection Location: Amazone Nature Lodge, Kaw rd, French Guiana 80782
|
 Nearns Swift SS Kaw Frederic Robin.jpg)
Sex: m Photographer: Frédéric Robin Collection Location: Kaw, French Guiana 102719
|
|