 Avila UNSAAC San Marcos, Huanuco, Peru.jpg)
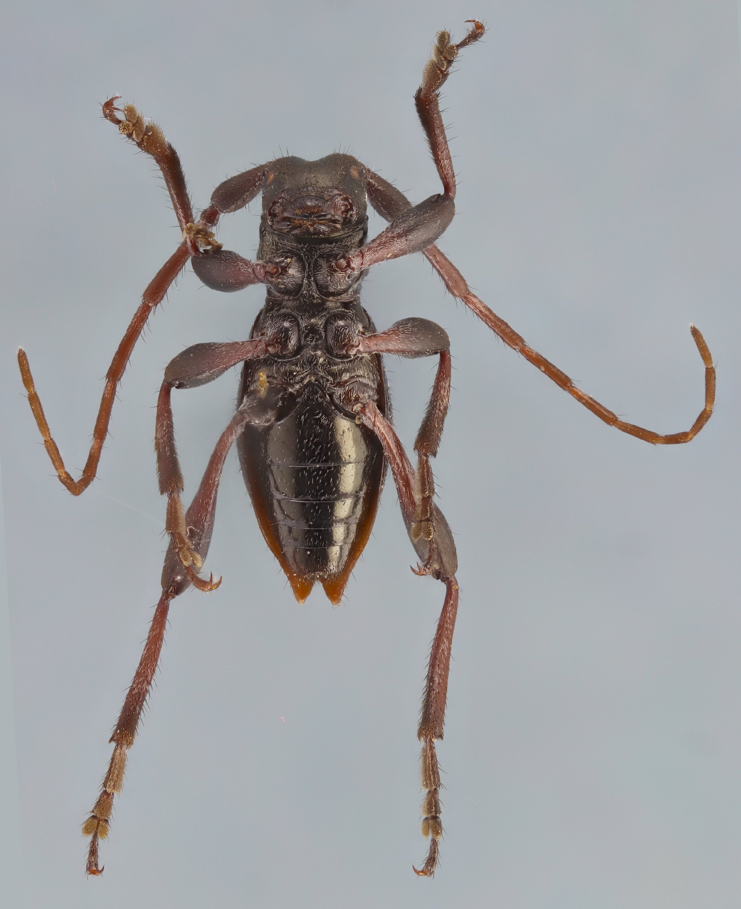
Specimen Type: holotype Sex: m Institution: UNSAC Entomology Collection, University Nacional de San Antonio Abad del Cusco, Peru Photographer: Angelo Ávila-Jiménez Collection Location: San Marcos, Huanuco, Peru 98699
|
 Avila UNSAAC San Marcos, Huanuco, Peru.jpg)
Specimen Type: holotype Sex: m Institution: UNSAC Entomology Collection, University Nacional de San Antonio Abad del Cusco, Peru Photographer: Angelo Ávila-Jiménez Collection Location: San Marcos, Huanuco, Peru 98700
|
 Avila UNSAAC San Marcos, Huanuco, Peru.jpg)
Specimen Type: holotype Sex: m Institution: UNSAC Entomology Collection, University Nacional de San Antonio Abad del Cusco, Peru Photographer: Angelo Ávila-Jiménez Collection Location: San Marcos, Huanuco, Peru 98701
|
 Avila UNSAAC San Marcos, Huanuco, Peru.jpg)
Specimen Type: holotype Sex: m Institution: UNSAC Entomology Collection, University Nacional de San Antonio Abad del Cusco, Peru Photographer: Angelo Ávila-Jiménez Collection Location: San Marcos, Huanuco, Peru 98702
|
|