 SS Skill FSCA 7 km n Autlan, Jalisco, Mexico SS.jpg)
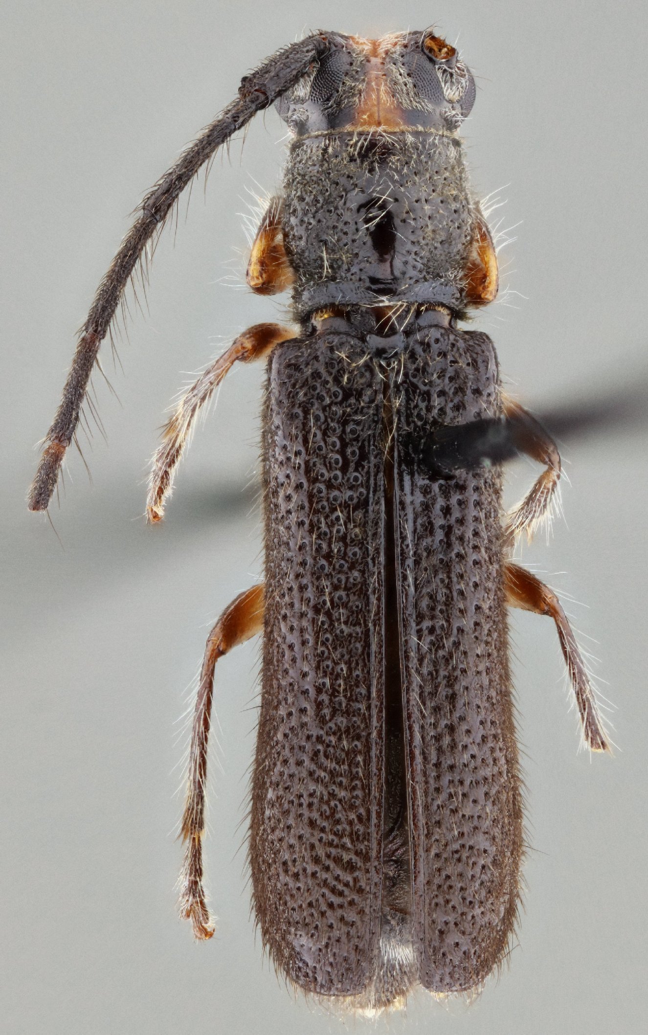
Specimen Type: holotype Sex: m Institution: FSCA Florida State Collection of Arthropods, Gainesville, FL, USA Photographer: Antonio Santos-Silva Collection Location: 7 km n Autlan, Jalisco, Mexico 100906
|
 SS Skill FSCA 7 km n Autlan, Jalisco, Mexico SS.jpg)
Specimen Type: holotype Sex: m Institution: FSCA Florida State Collection of Arthropods, Gainesville, FL, USA Photographer: Antonio Santos-Silva Collection Location: 7 km n Autlan, Jalisco, Mexico 100907
|
 SS Skill FSCA 7 km n Autlan, Jalisco, Mexico SS.jpg)
Specimen Type: holotype Sex: m Institution: FSCA Florida State Collection of Arthropods, Gainesville, FL, USA Photographer: Antonio Santos-Silva Collection Location: 7 km n Autlan, Jalisco, Mexico 100908
|
 SS Skill FSCA 7 km n Autlan, Jalisco, Mexico SS.jpg)
Specimen Type: holotype Sex: m Institution: FSCA Florida State Collection of Arthropods, Gainesville, FL, USA Photographer: Antonio Santos-Silva Collection Location: 7 km n Autlan, Jalisco, Mexico 100909
|
 SS Skill FSCA 7 km n Autlan, Jalisco, Mexico SS.jpg)
Specimen Type: holotype Sex: m Institution: FSCA Florida State Collection of Arthropods, Gainesville, FL, USA Photographer: Antonio Santos-Silva Collection Location: 7 km n Autlan, Jalisco, Mexico 100910
|
|