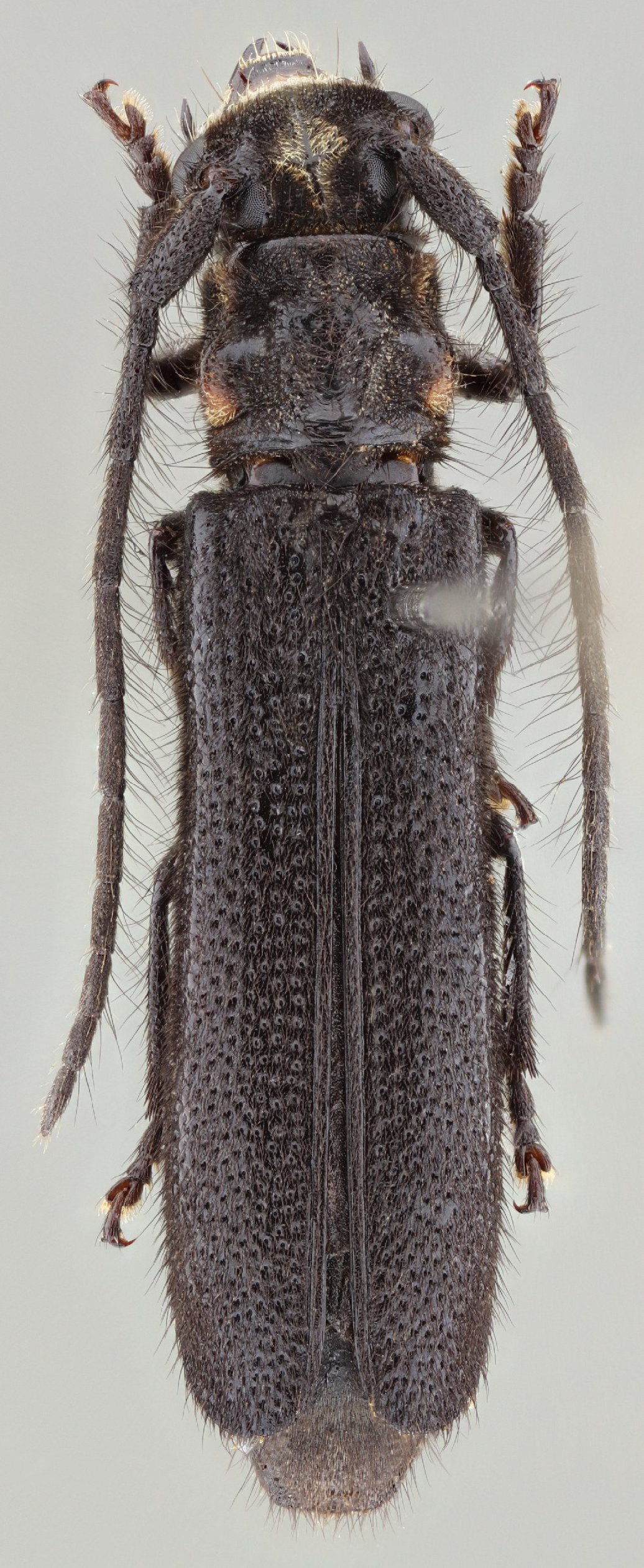
 SS Skill FSCA 10 km N La Huerta, Jalisco, Mexico SS.jpg)
Specimen Type: holotype Sex: m Institution: FSCA Florida State Collection of Arthropods, Gainesville, FL, USA Photographer: Antonio Santos-Silva Collection Location: 10 km N La Huerta, Jalisco, Mexico 100911
|
 SS Skill FSCA 10 km N La Huerta, Jalisco, Mexico SS.jpg)
Specimen Type: holotype Sex: m Institution: FSCA Florida State Collection of Arthropods, Gainesville, FL, USA Photographer: Antonio Santos-Silva Collection Location: 10 km N La Huerta, Jalisco, Mexico 100912
|
 SS Skill FSCA 10 km N La Huerta, Jalisco, Mexico SS.jpg)
Specimen Type: holotype Sex: m Institution: FSCA Florida State Collection of Arthropods, Gainesville, FL, USA Photographer: Antonio Santos-Silva Collection Location: 10 km N La Huerta, Jalisco, Mexico 100913
|
 SS Skill FSCA 10 km N La Huerta, Jalisco, Mexico SS.jpg)
Specimen Type: holotype Sex: m Institution: FSCA Florida State Collection of Arthropods, Gainesville, FL, USA Photographer: Antonio Santos-Silva Collection Location: 10 km N La Huerta, Jalisco, Mexico 100914
|
 SS Skill Hwy MX80, km marker 145 rd Microondas de San Francisco, Jalisco, Mexico.jpg)
Specimen Type: paratype Sex: m Institution: MZSP Museu de Zoologia da Universidade de São Paulo, Brazil Photographer: Antonio Santos-Silva Collection Location: Hwy MX80, km 145, rd Microondas de San Francisco, Jalisco, Mexico 100952
|
 SS Skill Hwy MX80, km marker 145 rd Microondas de San Francisco, Jalisco, Mexico.jpg)
Specimen Type: paratype Sex: m Institution: MZSP Museu de Zoologia da Universidade de São Paulo, Brazil Photographer: Antonio Santos-Silva Collection Location: Hwy MX80, km 145, rd Microondas de San Francisco, Jalisco, Mexico 100953
|
 SS Skill MZSP 7 km N Autlán, on road to Microondas de San Francisco, Jalisco, Mexico.jpg)
Specimen Type: paratype Sex: m Institution: MZSP Museu de Zoologia da Universidade de São Paulo, Brazil Photographer: Antonio Santos-Silva Collection Location: 7 km N Autlán, on road to Microondas de San Francisco, Jalisco, Mexico 100954
|
 SS Skill MZSP 7 km N Autlán, on road to Microondas de San Francisco, Jalisco, Mexico.jpg)
Specimen Type: paratype Sex: m Institution: MZSP Museu de Zoologia da Universidade de São Paulo, Brazil Photographer: Antonio Santos-Silva Collection Location: 7 km N Autlán, on road to Microondas de San Francisco, Jalisco, Mexico 100955
|
 SS Skill MZSP 7 km N Autlán, on road to Microondas de San Francisco, Jalisco, Mexico.jpg)
Specimen Type: paratype Sex: f Institution: MZSP Museu de Zoologia da Universidade de São Paulo, Brazil Photographer: Antonio Santos-Silva Collection Location: 7 km N Autlán, on road to Microondas de San Francisco, Jalisco, Mexico 100956
|
 SS Skill MZSP 7 km N Autlán, on road to Microondas de San Francisco, Jalisco, Mexico.jpg)
Specimen Type: paratype Sex: f Institution: MZSP Museu de Zoologia da Universidade de São Paulo, Brazil Photographer: Antonio Santos-Silva Collection Location: 7 km N Autlán, on road to Microondas de San Francisco, Jalisco, Mexico 100957
|
 SS Skill MZSP 7 km N Autlán, on road to Microondas de San Francisco, Jalisco, Mexico.jpg)
Specimen Type: paratype Sex: f Institution: MZSP Museu de Zoologia da Universidade de São Paulo, Brazil Photographer: Antonio Santos-Silva Collection Location: 7 km N Autlán, on road to Microondas de San Francisco, Jalisco, Mexico 100958
|
 SS Skill MZSP 7 km N Autlán, on road to Microondas de San Francisco, Jalisco, Mexico.jpg)
Specimen Type: paratype Sex: f Institution: MZSP Museu de Zoologia da Universidade de São Paulo, Brazil Photographer: Antonio Santos-Silva Collection Location: 7 km N Autlán, on road to Microondas de San Francisco, Jalisco, Mexico 100959
|
 SS Skill Hwy MX80, km marker 145 rd Microondas de San Francisco, Jalisco, Mexico.jpg)
Specimen Type: paratype Sex: f Institution: MZSP Museu de Zoologia da Universidade de São Paulo, Brazil Photographer: Antonio Santos-Silva Collection Location: Hwy MX80, km 145, rd Microondas de San Francisco, Jalisco, Mexico 100960
|
 SS Skill Hwy MX80, km marker 145 rd Microondas de San Francisco, Jalisco, Mexico.jpg)
Specimen Type: paratype Sex: f Institution: MZSP Museu de Zoologia da Universidade de São Paulo, Brazil Photographer: Antonio Santos-Silva Collection Location: Hwy MX80, km 145, rd Microondas de San Francisco, Jalisco, Mexico 100961
|
 SS Skill Puente de Ixtla, Morelos, Mexico.jpg)
Specimen Type: paratype Sex: f Institution: MZSP Museu de Zoologia da Universidade de São Paulo, Brazil Photographer: Antonio Santos-Silva Collection Location: Puente de Ixtla, Morelos, Mexico 100962
|
 SS Skill Puente de Ixtla, Morelos, Mexico.jpg)
Specimen Type: paratype Sex: f Institution: MZSP Museu de Zoologia da Universidade de São Paulo, Brazil Photographer: Antonio Santos-Silva Collection Location: Puente de Ixtla, Morelos, Mexico 100963
|
|