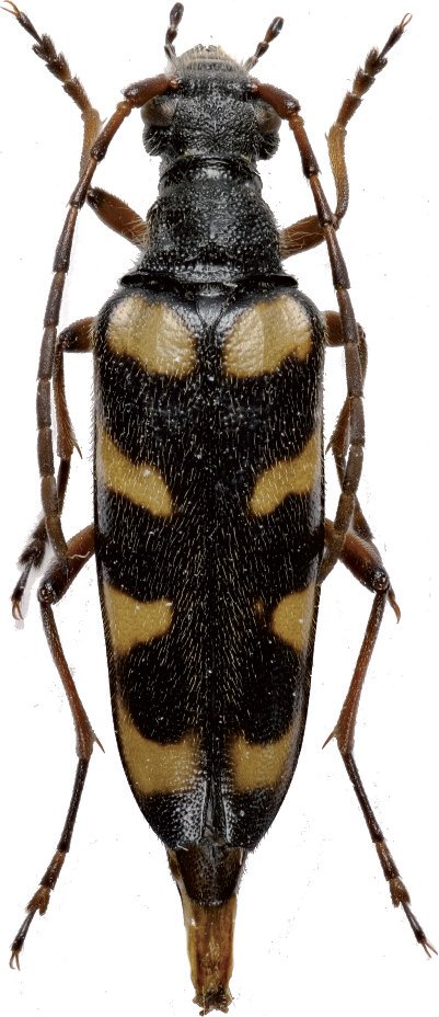
 Holz coll Shangri-la, Zhongdian, Yunnan, China LD.jpg)
Specimen Type: holotype Sex: m Institution: Holzschuh Collection Photographer: Lubos Dembicky Collection Location: Shangri-la, Zhongdian, Yunnan, China 100743
|
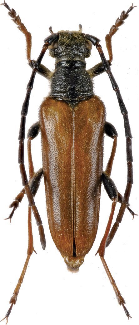
 Holz coll Shangri-la, Zhongdian, Yunnan, China LD.jpg)
Specimen Type: paratype Sex: f Institution: Holzschuh Collection Photographer: Lubos Dembicky Collection Location: Shangri-la, Zhongdian, Yunnan, China 100744
|