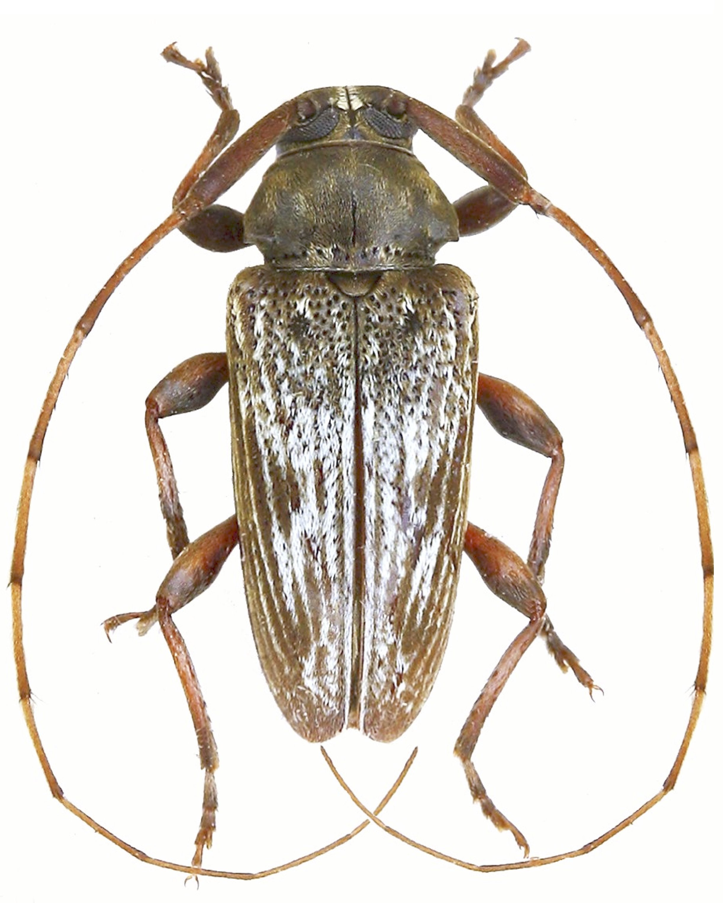
 SS et al CASC Matiti, French Guiana SS.jpg)
Specimen Type: holotype Sex: m Institution: CAS California Academy of Sciences, San Francisco, CA, USA Photographer: Antonio Santos-Silva Collection Location: Matiti, French Guiana 100842
|
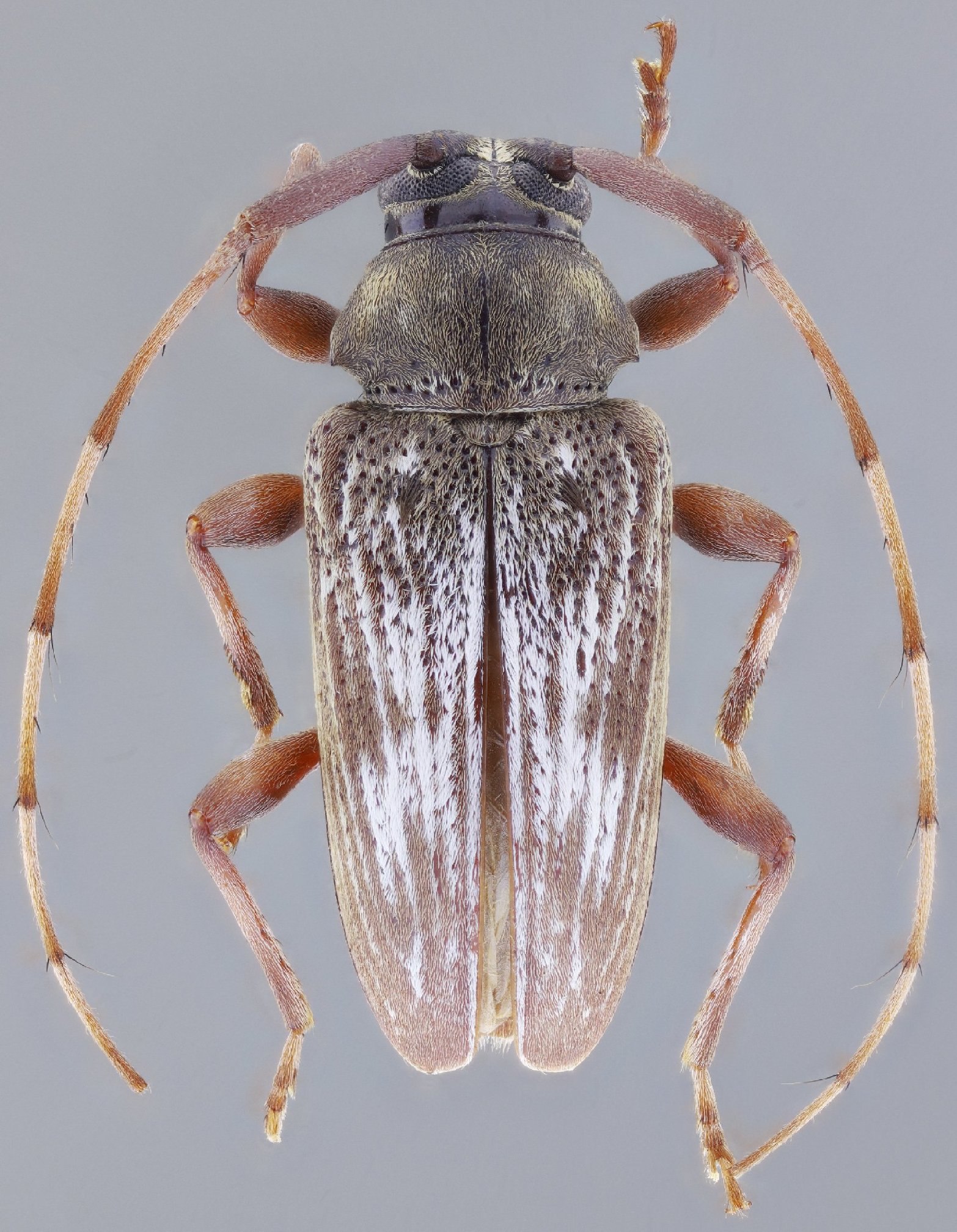
 SS et al CASC Matiti, French Guiana SS.jpg)
Specimen Type: holotype Sex: m Institution: CAS California Academy of Sciences, San Francisco, CA, USA Photographer: Antonio Santos-Silva Collection Location: Matiti, French Guiana 100843
|
 SS et al CASC Matiti, French Guiana SS.jpg)
Specimen Type: holotype Sex: m Institution: CAS California Academy of Sciences, San Francisco, CA, USA Photographer: Antonio Santos-Silva Collection Location: Matiti, French Guiana 100844
|
 SS et al CASC Matiti, French Guiana SS.jpg)
Specimen Type: holotype Sex: m Institution: CAS California Academy of Sciences, San Francisco, CA, USA Photographer: Antonio Santos-Silva Collection Location: Matiti, French Guiana 100845
|
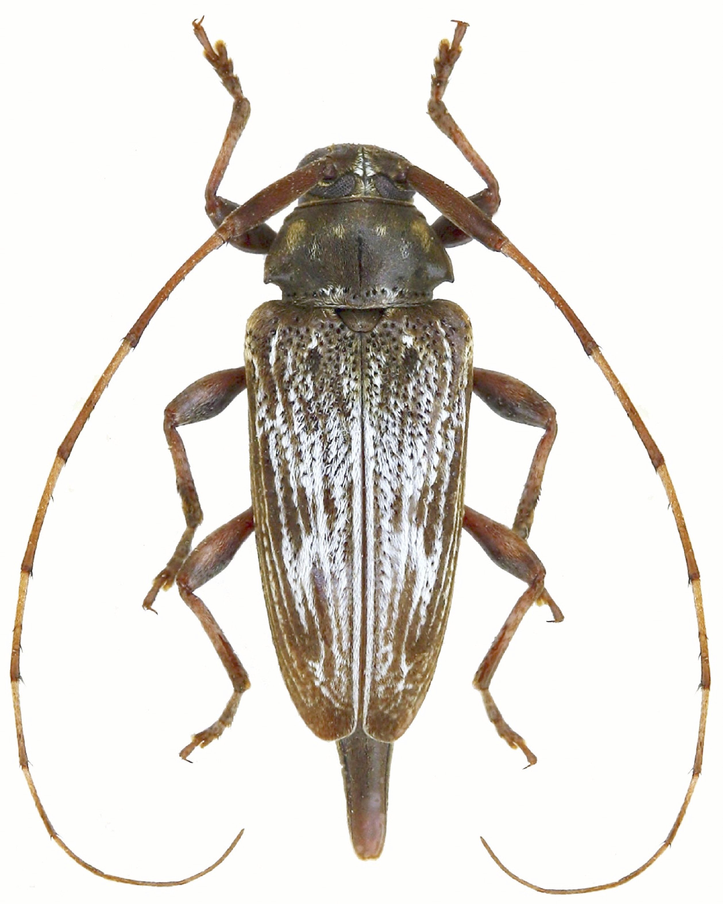
 SS et al JLG Wayabo, Matiti, French Guiana JLG.jpg)
Specimen Type: paratype Sex: m Institution: Guiglaris Collection Photographer: Jean-Louis Guiglaris Collection Location: Wayabo, Matiti, French Guiana 100846
|
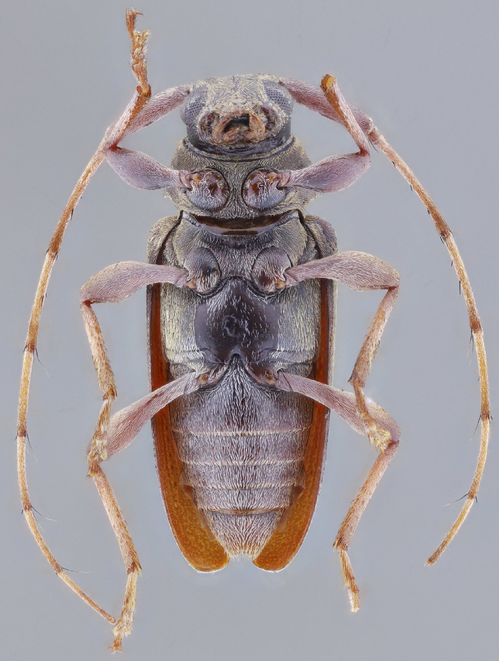
 SS et al JLG Wayabo, Matiti, French Guiana JLG.jpg)
Specimen Type: paratype Sex: f Institution: Guiglaris Collection Photographer: Jean-Louis Guiglaris Collection Location: Wayabo, Matiti, French Guiana 100847
|
|