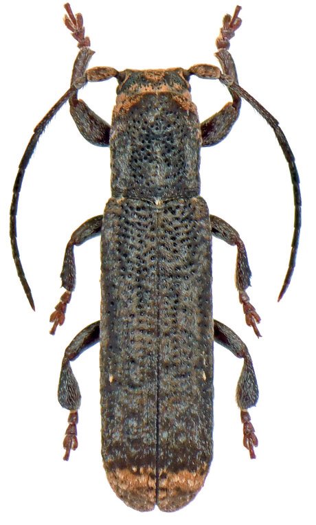
 Roguet Collection pk48 Montagne de Kaw, French Guiana.jpg)
Specimen Type: holotype Sex: f Institution: Roguet Collection Photographer: JP Roguet, https://lamiinae.org Collection Location: pk 48 Montagne de Kaw, French Guiana 100965
|
 Roguet Collection pk50 Montagne de Kaw, French Guiana.jpg)
Specimen Type: allotype Sex: m Institution: Roguet Collection Photographer: JP Roguet, https://lamiinae.org Collection Location: pk 48 Montagne de Kaw, French Guiana 100966
|