New Search Family, Subfamily and Tribe List

SubFamily Lamiinae

Tribe Apomecynini
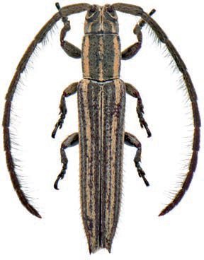
Dorcasta rorotaensis Roguet 2025

Specimen Type: holotype
Sex: f
Institution: Roguet Collection
Photographer: JP Roguet, https://lamiinae.org
Collection Location: Remire-Montjoly, French Guiana
100973

130425