New Search Family, Subfamily and Tribe List

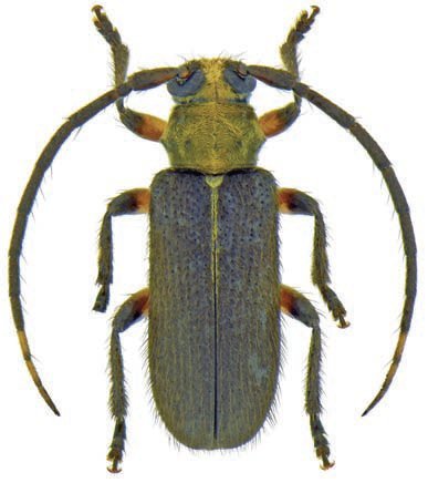
SubFamily Lamiinae

Tribe Calliini
Callia reducta Roguet 2025

Specimen Type: holotype
Sex: m
Institution: Roguet Collection
Photographer: JP Roguet, https://lamiinae.org
Collection Location: pk 29 Montagne de Kaw, French Guiana
100972

130425