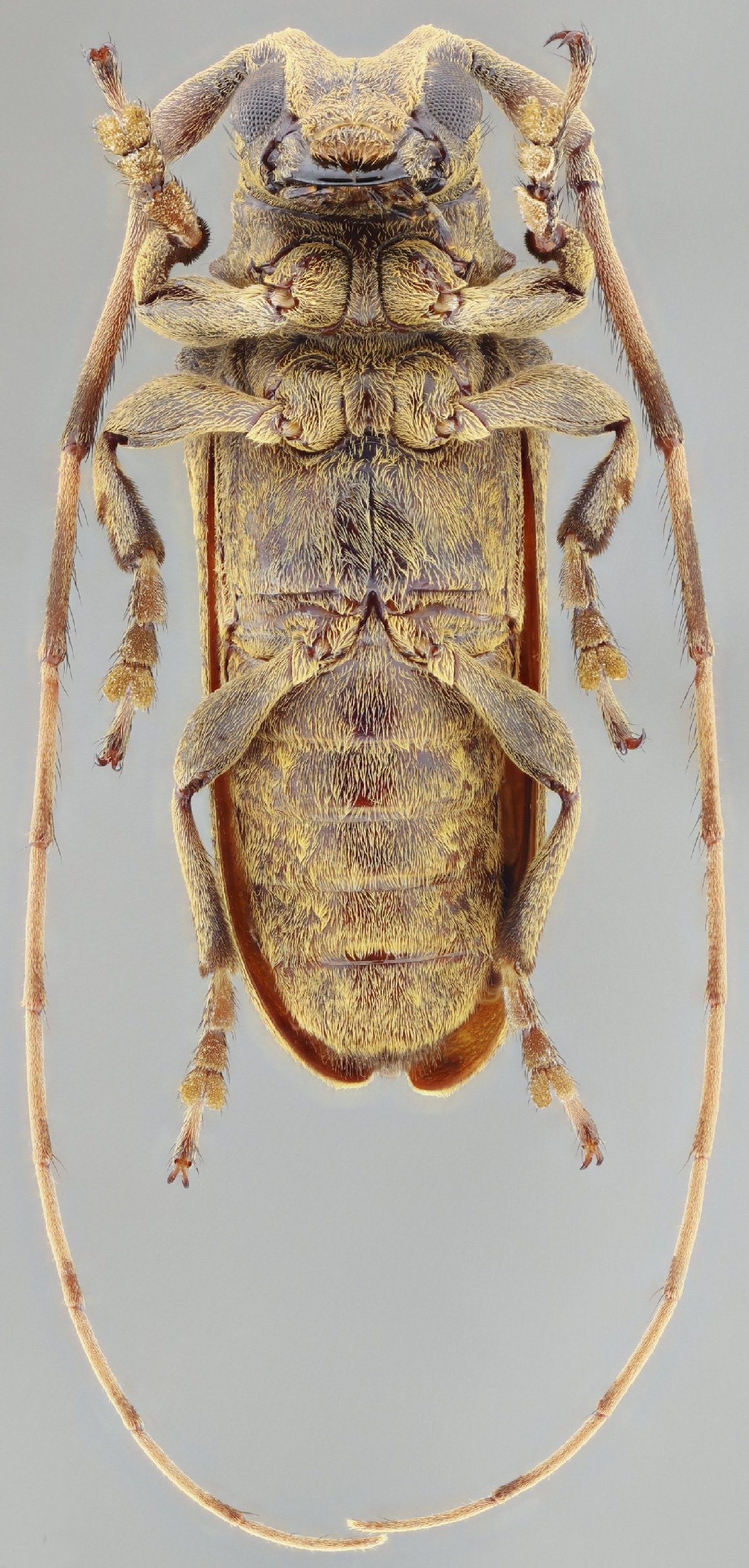
 Vlas GN SS MZSP Pacto Sumaco, Napo, Ecuador SS.jpg)
Specimen Type: holotype Sex: m Institution: MZSP Museu de Zoologia da Universidade de São Paulo, Brazil Photographer: Antonio Santos-Silva Collection Location: Pacto Sumaco, Napo, Ecuador 100982
|
 Vlas GN SS MZSP Pacto Sumaco, Napo, Ecuador SS.jpg)
Specimen Type: holotype Sex: m Institution: MZSP Museu de Zoologia da Universidade de São Paulo, Brazil Photographer: Antonio Santos-Silva Collection Location: Pacto Sumaco, Napo, Ecuador 100983
|
 Vlas GN SS MZSP Pacto Sumaco, Napo, Ecuador SS.jpg)
Specimen Type: holotype Sex: m Institution: MZSP Museu de Zoologia da Universidade de São Paulo, Brazil Photographer: Antonio Santos-Silva Collection Location: Pacto Sumaco, Napo, Ecuador 100984
|
 Vlas GN SS MZSP Pacto Sumaco, Napo, Ecuador SS.jpg)
Specimen Type: holotype Sex: m Institution: MZSP Museu de Zoologia da Universidade de São Paulo, Brazil Photographer: Antonio Santos-Silva Collection Location: Pacto Sumaco, Napo, Ecuador 100985
|
 Vlas coll GN SS Pacto Sumaco, Napo, Ecuador SS.jpg)
Specimen Type: paratype Sex: m Institution: Vlasak Collection Photographer: Antonio Santos-Silva Collection Location: Pacto Sumaco, Napo, Ecuador 100986
|
|