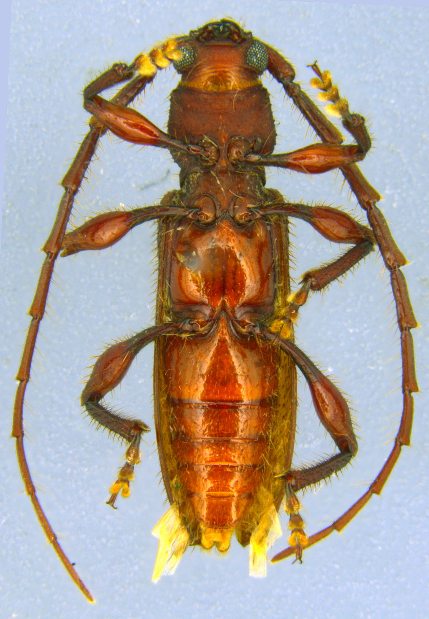
 Ferreira Mermudes MZSP Parque da Serra das Confusoes, Caracol, Piaui, Brazil.jpg)
Specimen Type: holotype Sex: m Institution: MZSP Museu de Zoologia da Universidade de São Paulo, Brazil Photographer: Gabriel Ferreira Collection Location: Parque da Serra das Confusoes, Caracol, Piaui, Brazil 101412
|
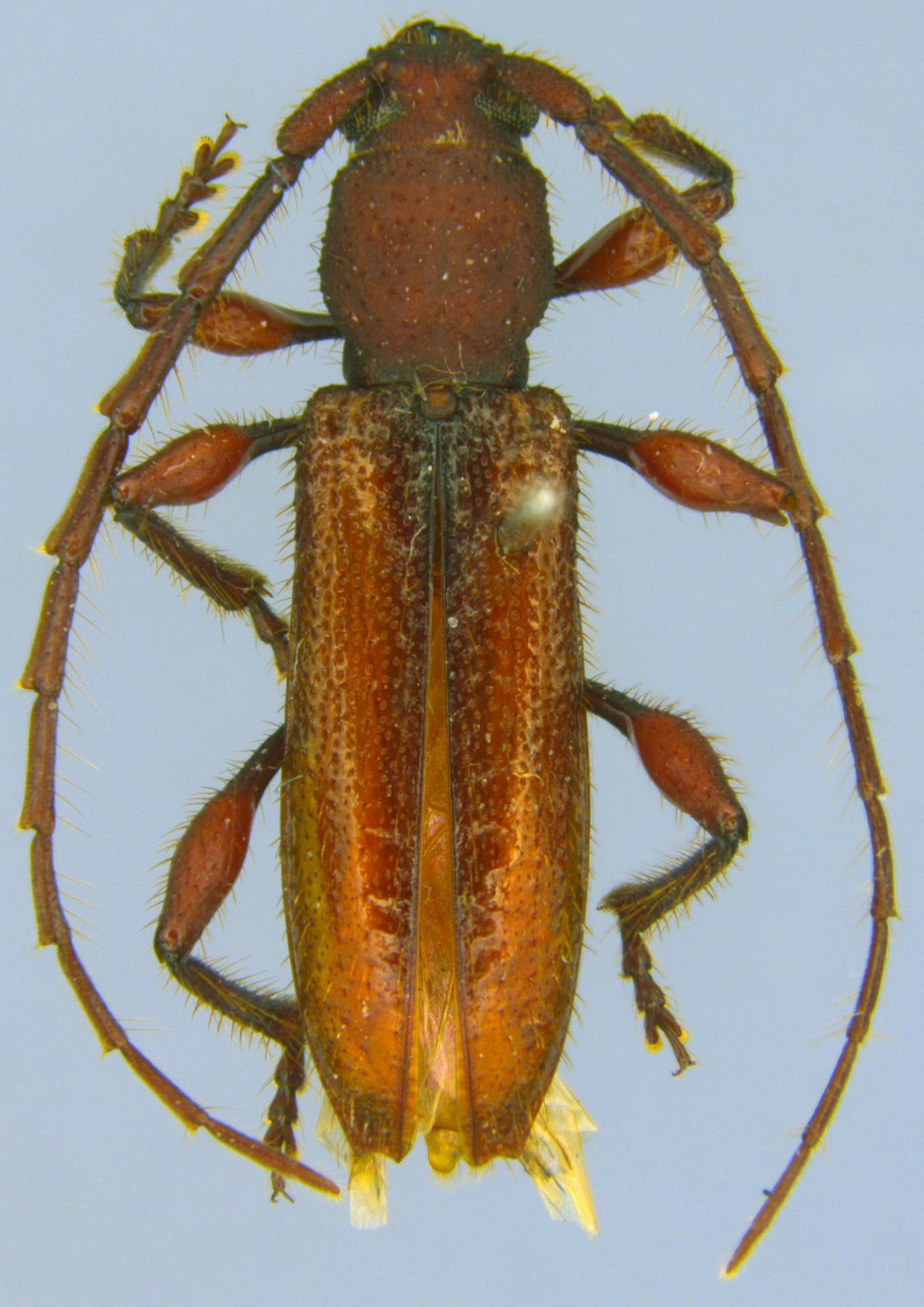
 Ferreira Mermudes MZSP Parque da Serra das Confusoes, Caracol, Piaui, Brazil.jpg)
Specimen Type: holotype Sex: m Institution: MZSP Museu de Zoologia da Universidade de São Paulo, Brazil Photographer: Gabriel Ferreira Collection Location: Parque da Serra das Confusoes, Caracol, Piaui, Brazil 101413
|
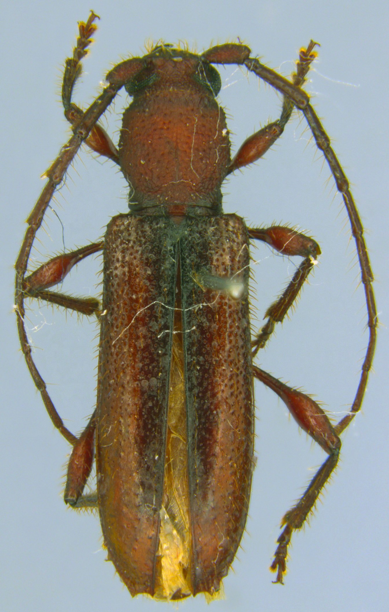
 Ferreira Mermudes MZSP Parque da Serra das Confusoes, Caracol, Piaui, Brazil.jpg)
Specimen Type: holotype Sex: m Institution: MZSP Museu de Zoologia da Universidade de São Paulo, Brazil Photographer: Gabriel Ferreira Collection Location: Parque da Serra das Confusoes, Caracol, Piaui, Brazil 101414
|
 Ferreira Mermudes MZSP Parque da Serra das Confusoes, Caracol, Piaui, Brazil.jpg)
Specimen Type: holotype Sex: m Institution: MZSP Museu de Zoologia da Universidade de São Paulo, Brazil Photographer: Gabriel Ferreira Collection Location: Parque da Serra das Confusoes, Caracol, Piaui, Brazil 101415
|
 Ferreira Mermudes MZSP Parque da Serra das Confusoes, Caracol, Piaui, Brazil.jpg)
Specimen Type: paratype Sex: f Institution: MZSP Museu de Zoologia da Universidade de São Paulo, Brazil Photographer: Gabriel Ferreira Collection Location: Parque da Serra das Confusoes, Caracol, Piaui, Brazil 101416
|
|