 Ferreira Mermudes MZSP Rio Tapajos, Santarenzinho, Para, Brazil.jpg)
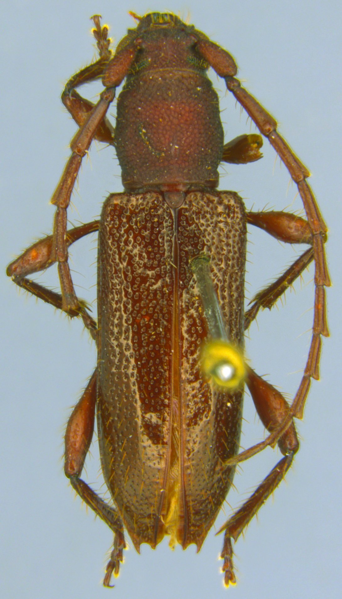
Specimen Type: holotype Sex: f Institution: MZSP Museu de Zoologia da Universidade de São Paulo, Brazil Photographer: Gabriel Ferreira Collection Location: Rio Tapajos, Santarenzinho, Para, Brazil 101421
|
 Ferreira Mermudes MZSP Rio Tapajos, Santarenzinho, Para, Brazil.jpg)
Specimen Type: holotype Sex: f Institution: MZSP Museu de Zoologia da Universidade de São Paulo, Brazil Photographer: Gabriel Ferreira Collection Location: Rio Tapajos, Santarenzinho, Para, Brazil 101422
|
 Ferreira Mermudes MZSP Rio Tapajos, Santarenzinho, Para, Brazil.jpg)
Specimen Type: holotype Sex: f Institution: MZSP Museu de Zoologia da Universidade de São Paulo, Brazil Photographer: Gabriel Ferreira Collection Location: Rio Tapajos, Santarenzinho, Para, Brazil 101423
|
 Ferreira Mermudes MZSP Rio Tapajos, Santarenzinho, Para, Brazil.jpg)
Specimen Type: holotype Sex: f Institution: MZSP Museu de Zoologia da Universidade de São Paulo, Brazil Photographer: Gabriel Ferreira Collection Location: Rio Tapajos, Santarenzinho, Para, Brazil 101424
|
|