 Chen CBFU Se-ergu Town, Heishui County, Sichuan, China Jian-Heng Chen pic.jpg)
Specimen Type: holotype Sex: f Institution: CBFU Collection of Forest Entomology Laboratory, Beijing Forestry University, Beijing, China Photographer: Jian-Heng Chen Collection Location: Se-ergu Town, Heishui County, Sichuan, China 101497
|
 Chen CBFU Se-ergu Town, Heishui County, Sichuan, China Jian-Heng Chen pic.jpg)
Specimen Type: holotype Sex: f Institution: CBFU Collection of Forest Entomology Laboratory, Beijing Forestry University, Beijing, China Photographer: Jian-Heng Chen Collection Location: Se-ergu Town, Heishui County, Sichuan, China 101498
|
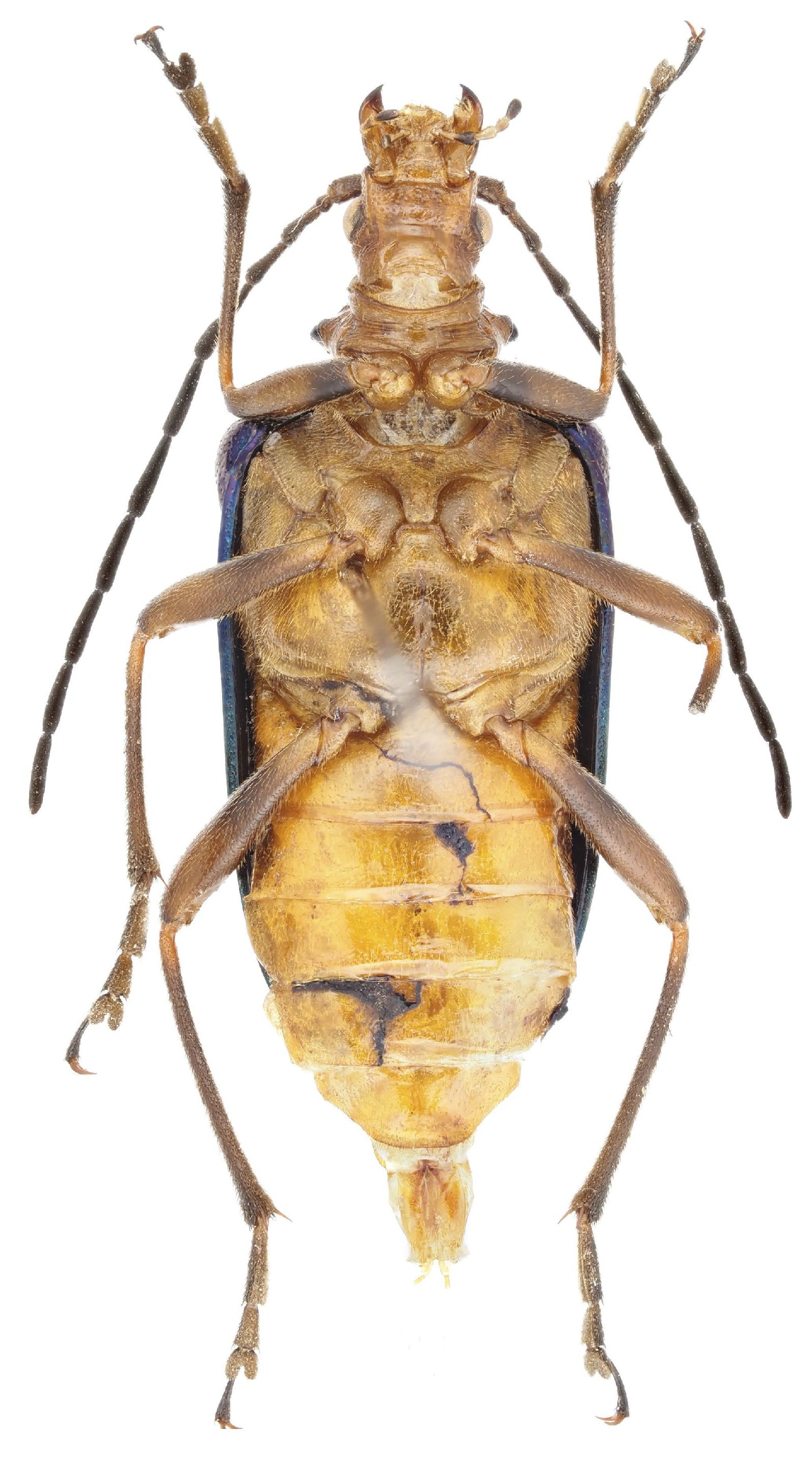
 Chen CBFU Se-ergu Town, Heishui County, Sichuan, China Jian-Heng Chen pic.jpg)
Specimen Type: holotype Sex: f Institution: CBFU Collection of Forest Entomology Laboratory, Beijing Forestry University, Beijing, China Photographer: Jian-Heng Chen Collection Location: Se-ergu Town, Heishui County, Sichuan, China 101499
|
|