New Search Family, Subfamily and Tribe List

SubFamily Lamiinae

Tribe Acanthocinini
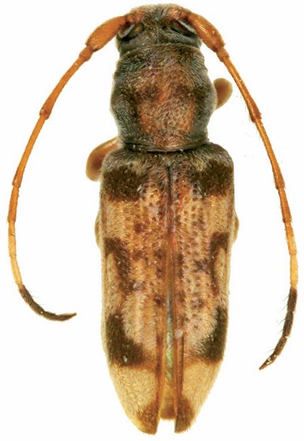
Stenellipsis apicemaculata Vives & Sudre 2024

Specimen Type: holotype
Sex: m
Institution: MNHN Museum of Natural History Paris, France
Photographer: Eduard Vives
Collection Location: N Forest, New Caledonia
101653

130425