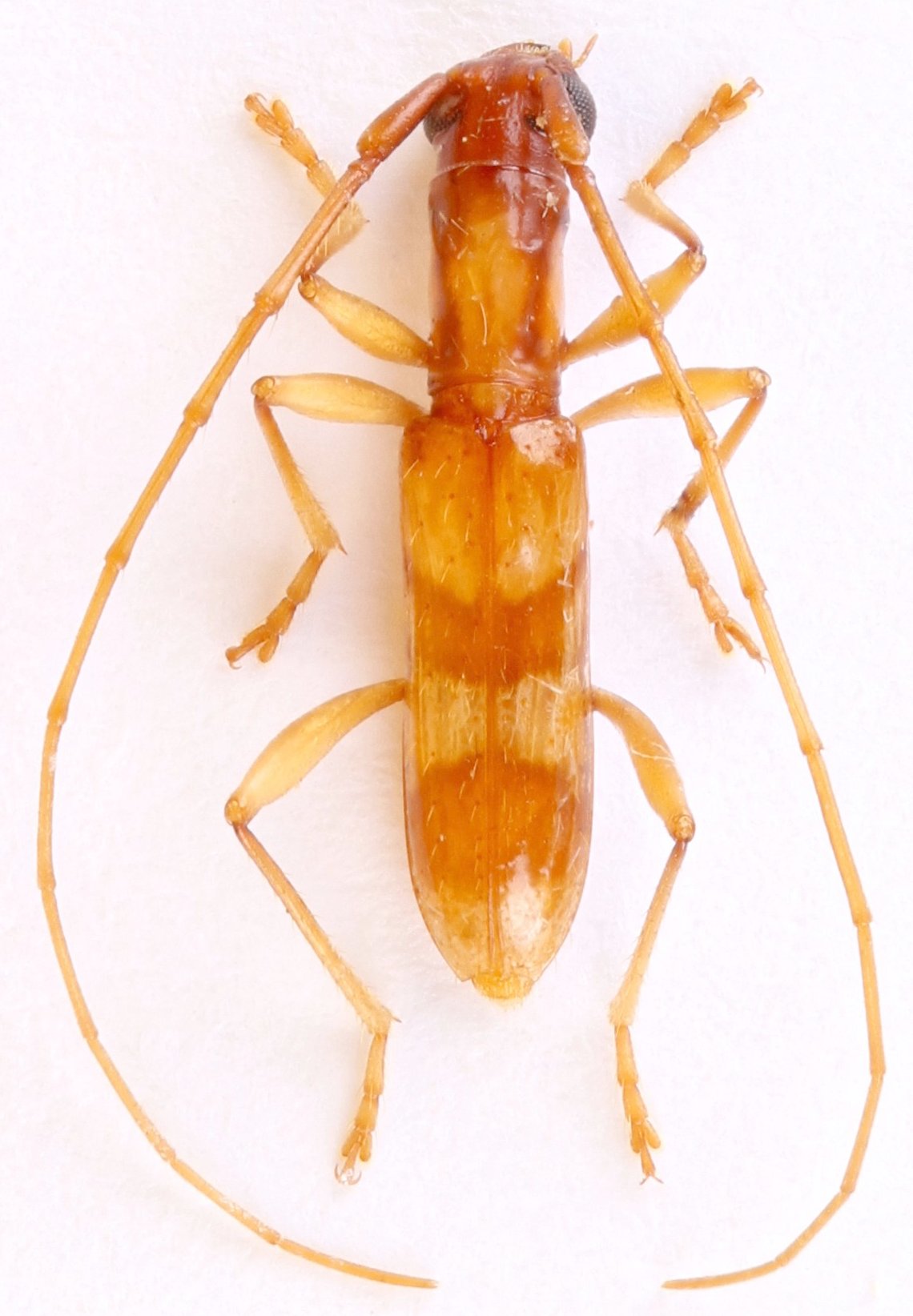
 Aud Tava MNHN pk 19 Belizon, French Guiana.jpg)
Specimen Type: holotype Sex: m Institution: MNHN Museum of Natural History Paris, France Photographer: Alain Audureau Collection Location: pk 19 Belizon, French Guiana 102679
|
 Aud Tava MNHN pk 19 Belizon, French Guiana.jpg)
Specimen Type: holotype Sex: m Institution: MNHN Museum of Natural History Paris, France Photographer: Alain Audureau Collection Location: pk 19 Belizon, French Guiana 102680
|