 Aud Tava MNHN pk 33 Route de Kaw, French Guiana.jpg)
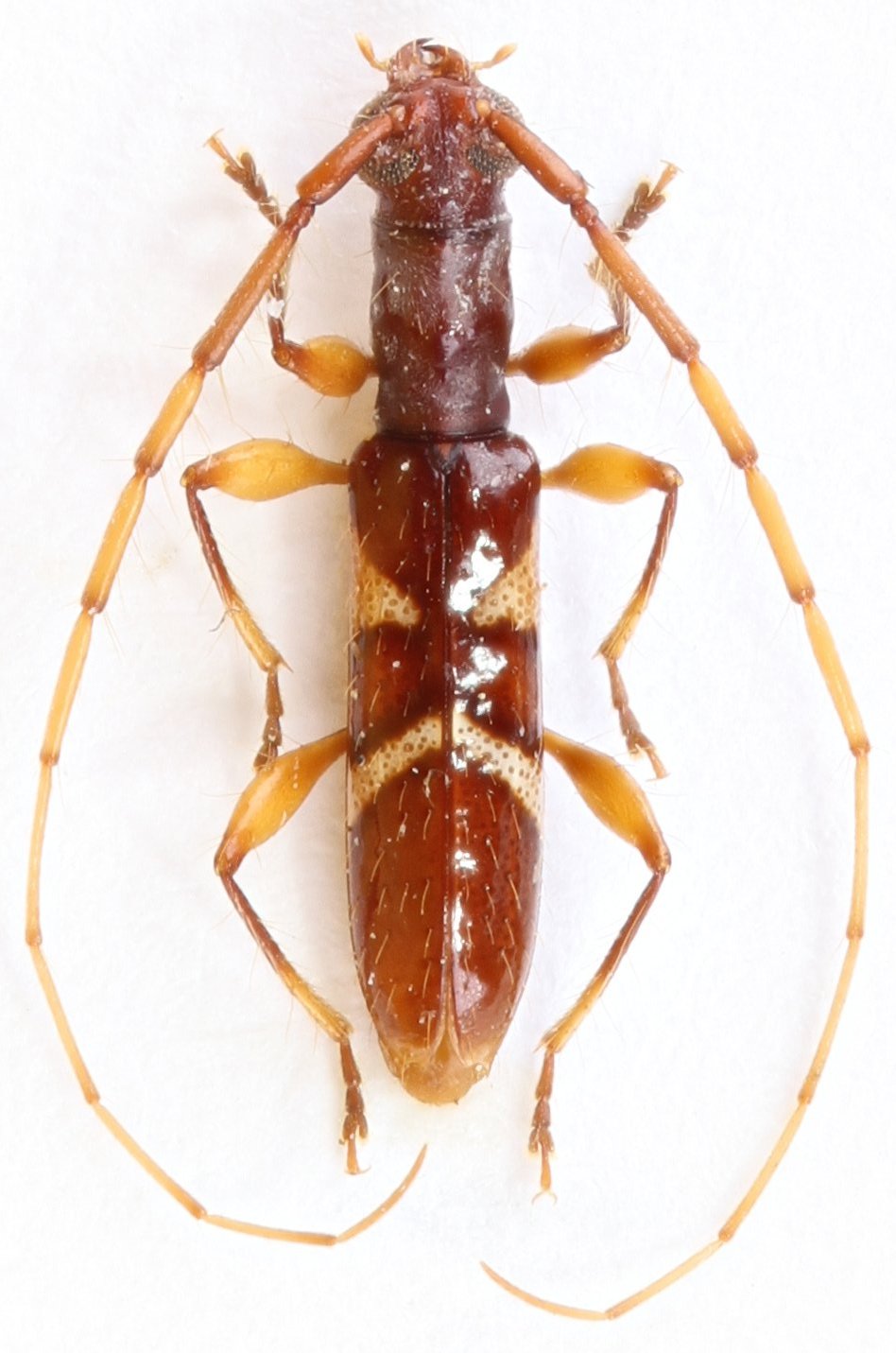
Specimen Type: holotype Sex: m Institution: MNHN Museum of Natural History Paris, France Photographer: Alain Audureau Collection Location: pk 33 Route de Kaw, French Guiana 102682
|
 Aud Tava MNHN pk 33 Route de Kaw, French Guiana.jpg)
Specimen Type: holotype Sex: m Institution: MNHN Museum of Natural History Paris, France Photographer: Alain Audureau Collection Location: pk 33 Route de Kaw, French Guiana 102683
|